Skip to main content
|

2080 Tilson Road, Decatur, GA 30032

Show All 13 Photos
For Sale

$3,600,000

4.2 acres

Estimated Payment

$      /mo.

APR for 30 years

Change Loan Terms

  • Other Residential
    Property type

  • Newly Listed
    Time on Century 21

  • 4.2 acres
    Lot size

Explore this Property

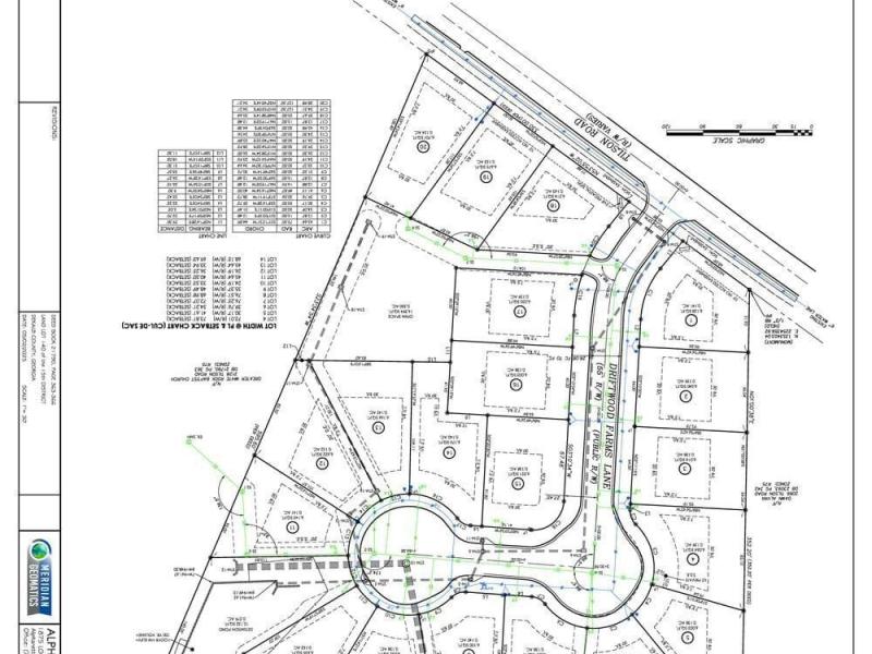
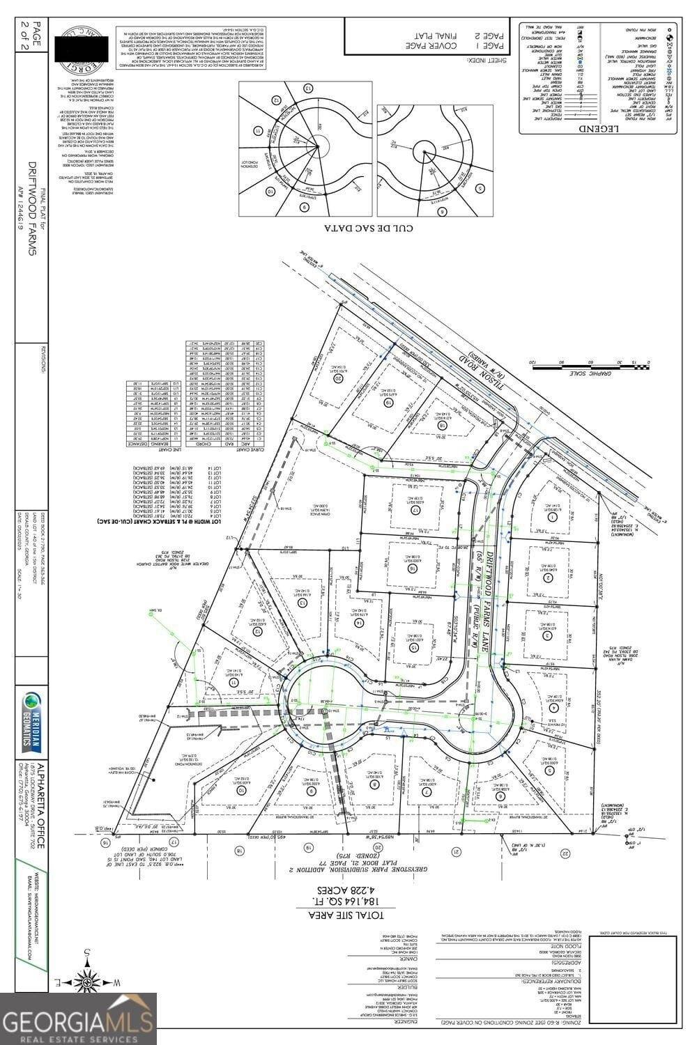
Calling all builders and developers-your next intown project! This 4.2-acre developed residential lot is already zoned for 20 single-family homes and is located in a well-established neighborhood just minutes from I-20. Everything you need to start building is already in place, including a retention pond, sidewalks, street lamps, paved roads, and underground utilities. HOA documents have been created and are available upon request at closing. The final plat is in a process of Dekalb County's approval. Buyer needs to apply for a building permit. This area is growing quickly with new single-family home and townhome communities nearby, reflecting strong demand for new construction. Within two miles, new homes served by the same middle and high schools have sold between the low $500Ks and low $700Ks. A new 125-unit community, Solace Grove, is also under construction just behind the property, adding to the momentum and future value of this prime intown development site. Enjoy the convenience of being minutes from everything-Downtown Atlanta (7.4 mi), Downtown Decatur (4.6 mi), East Lake Golf Course (2 mi), and Georgia State University's Perimeter Campus (3.4 mi)-plus easy access to I-20, shopping, dining, and schools. This is an excellent opportunity to develop a new small subdivision in one of metro Atlanta's most connected and evolving intown areas.
MLS# 10638291

Courtesy Of Berkshire Hathaway HomeServices Georgia Properties

(404) 537-5200

Property Features

  • Architecture Style
    Other
  • Lot Size
    4.2 Acres

Map and Directions

Directions to 2080 Tilson Road, Decatur, GA 30032
Loading...

Home seller CENTURY 21 Connect Realty

Get to know the neighborhood. A local affiliated CENTURY 21 office will help you set up tours, give advice, and negotiate with sellers.

CENTURY 21 Connect Realty

(770) 640-6800
Learn More About Us

Mortgage Calculator

$
$ %
Loan Term
%
Invalid number

$ /year
$ /year
$ /month

Monthly Payment Breakdown

  • Principle and Interest
    $0
  • Property Taxes
    $0
  • Hazard Insurance
    $0
  • Private Mortgage Insurance
    $0
  • HOA Dues
    $0
  • Total Monthly Payment:
    $0

Calculators provided for estimating purposes only. Consult with your lender to determine precise payment requirements.

Loading...
Loading...