Skip to main content
|

208 State Route 37 Route, New Fairfield, CT 06812

Show All 25 Photos
For Sale

$995,000

Estimated Payment

$      /mo.

APR for 30 years

Change Loan Terms

  • Residential Lot
    Property type

Explore this Property

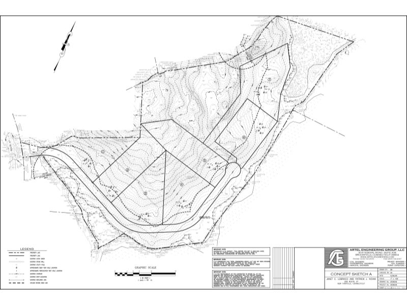
Developers take notice!-Lot consept design attached, Deep holes and Perk test completed, updated survey and wetlands delineation report are attached. Perk data attached for seven lots. Perfect for a large 33.4 acre Camp, Horse farm, private estate or to develope on multiple lots. Lightly wooded and wooded areas with classic New England stone walls and stone out croppings Being the former Lollipop Stables this land is abundant with horse/ATV trails. This raw land is a perfect place to build your own 33.4 acre private estate or be developed with multiple lots Located less than six miles from I84 through Danbury also is a short ride to New York City. Note: See photo of main gate at the street, the house to left of driveway is not part of this property. See attached documents for map and survey. Town of New Fairfield zoning is 3 acre min per buildin lot there is a large mix of open land, wooded and ledged throughout this property. SEE ATTACHED SURVEY, MAPS AND DOCUMENTS-
MLS# 24067945

Listed By CENTURY 21 AllPoints Realty

Property Features

  • Style
    Other Style

Home seller Meet the Agent,
David Hughes

Get to know the neighborhood. A local affiliated CENTURY 21 agent will help you set up tours, give advice, and negotiate with sellers.

David Hughes

of CENTURY 21 AllPoints Realty

License: RES.0815463
(203) 525-7806
Learn More About Me

Mortgage Calculator

$
$ %
Loan Term
%
Invalid number

$ /year
$ /year
$ /month

Monthly Payment Breakdown

  • Principle and Interest
    $0
  • Property Taxes
    $0
  • Hazard Insurance
    $0
  • Private Mortgage Insurance
    $0
  • HOA Dues
    $0
  • Total Monthly Payment:
    $0

Calculators provided for estimating purposes only. Consult with your lender to determine precise payment requirements.

Loading...
Loading...