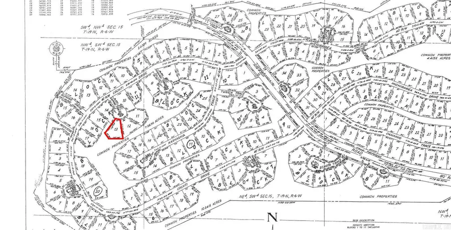
Lot 13 Saponi Trace, Cherokee Village, AR 72529
Local realty services provided by:CENTURY 21 Perry Real Estate
Lot 13 Saponi Trace,Cherokee Village, AR 72529
$1,325
- 0.3 Acres
- Lots / Land
- Active
Listed by: john vick
Office: exp realty
MLS#:25045396
Source:AR_CARMLS
Price summary
- Price:$1,325
- Monthly HOA dues:$7.5
About this home
Owner-finance for easy terms. Cash buyers can pay by debit or credit card as well. Nice lot to develop or hold for future value. Public water and electric may be available to run to property and will need septic. Owner/agent. No mobiles allowed. 1000 minimum build size on any other type of home, depending on subdivision. Buyer responsible for any/all taxes and lots sold "as-is". Quit claim deed conveys. Parcel ID# 165-12745-000
Contact an agent
Home facts
- Listing ID #:25045396
- Added:8 day(s) ago
- Updated:April 22, 2026 at 02:23 PM
Structure and exterior
- Lot area:0.3 Acres
- Lot Features:Common to Golf Course, Common to Lake, In Subdivision, Resort Property, River/Lake Area, Unimproved, Wooded
Finances and disclosures
- Price:$1,325
- Tax amount:$110 (2024)
Features and amenities
- Amenities:Clubhouse, Fitness/Bike Trail, Golf Course, Marina, Party Room, Picnic Area, Playground, Tennis Court(s)
- Pool features:Swimming Pool(s)
New listings near Lot 13 Saponi Trace
- New
$139,500Active3 beds 2 baths1,015 sq. ft.15 Tonto Circle, Cherokee Village, AR 72529
MLS# 26016292Listed by: KING-RHODES & ASSOCIATES, INC. - New
$280,000Active3 beds 2 baths1,726 sq. ft.50 Cherokee Drive, Cherokee Village, AR 72529
MLS# 26016153Listed by: UNITED COUNTRY COTHAM & CO. - New
$1,000Active0.29 AcresLot 10 Onapa Trace, Cherokee Village, AR 72529
MLS# 25045382Listed by: EXP REALTY - New
$449,900Active4 beds 3 baths2,986 sq. ft.15 Pinal, Cherokee Village, AR 72529
MLS# 26016130Listed by: OZARK GATEWAY REALTY OGW LLC - New
$27,000Active0.5 Acres00 Chesapeake Drive, Cherokee Village, AR 72529
MLS# 26016081Listed by: CHOICE REALTY - New
$220,000Active2 beds 2 baths1,420 sq. ft.14 Nokonda Road, Cherokee Village, AR 72529
MLS# 26015847Listed by: OZARK GATEWAY REALTY OGW LLC - Open Sun, 2:30 to 3:30pmNew
$134,900Active4 beds 2 baths1,672 sq. ft.88 Wabash Dr, Cherokee Village, AR 72529
MLS# 26015785Listed by: COMPASS ROSE REALTY - New
$50,500Active2 beds 1 baths672 sq. ft.76 Hiawatha Drive, Cherokee Village, AR 72529
MLS# 26015778Listed by: OZARK GATEWAY REALTY OGW LLC - New
$145,000Active2 beds 2 baths1,100 sq. ft.16 Iroquois Drive, Cherokee Village, AR 72529
MLS# 26015758Listed by: KING-RHODES & ASSOCIATES, INC. - New
$175,000Active3 beds 2 baths1,036 sq. ft.81 E Lakeshore Drive, Cherokee Village, AR 72529
MLS# 26015655Listed by: KING-RHODES & ASSOCIATES, INC.