4 Golf Course Area Lots, Cherokee Village, AR 72529
Local realty services provided by:CENTURY 21 PORTFOLIO
4 Golf Course Area Lots,Cherokee Village, AR 72529
$3,900
- 1 Acres
- Lots / Land
- Active
Listed by:
- Rebecca Guthrie(870) 291 - 7998CENTURY 21 PORTFOLIO
Office: century 21 portfolio srab
MLS#:26007518
Source:AR_CARMLS
Price summary
- Price:$3,900
About this home
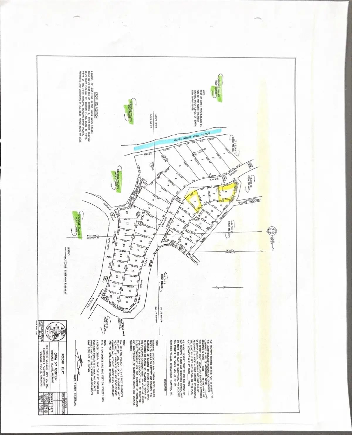
Here is the perfect opportunity to purchase 4 beautiful lots for one closing fee. You will find two lots located close to the North Golf Course, across the road from the Southfork River which runs through Cherokee Village and along side of the popular golf course. These lots are all level ground, perfect for building, with one being a nice corner lot setting on the corner of Wabash Dr and Yancopin Drive. The other two lots are located at the South Golf Course and they too are nice level lots perfect for building. Two lots are located in Fulton County and 2 are in Sharp County but all are within Cherokee Village City Limits.
Contact an agent
Home facts
- Listing ID #:26007518
- Added:55 day(s) ago
- Updated:April 22, 2026 at 02:44 PM
Structure and exterior
- Lot area:1 Acres
- Lot Features:Common to Golf Course
Finances and disclosures
- Price:$3,900
- Tax amount:$443
Features and amenities
- Amenities:Clubhouse, Fitness/Bike Trail, Golf Course, Marina, Picnic Area, Playground, Tennis Court(s)
- Pool features:Swimming Pool(s)
New listings near 4 Golf Course Area Lots
- New
$280,000Active3 beds 2 baths1,726 sq. ft.50 Cherokee Drive, Cherokee Village, AR 72529
MLS# 26016153Listed by: UNITED COUNTRY COTHAM & CO. - New
$1,000Active0.29 AcresLot 10 Onapa Trace, Cherokee Village, AR 72529
MLS# 25045382Listed by: EXP REALTY - New
$449,900Active4 beds 3 baths2,986 sq. ft.15 Pinal, Cherokee Village, AR 72529
MLS# 26016130Listed by: OZARK GATEWAY REALTY OGW LLC - New
$27,000Active0.5 Acres00 Chesapeake Drive, Cherokee Village, AR 72529
MLS# 26016081Listed by: CHOICE REALTY - New
$220,000Active2 beds 2 baths1,420 sq. ft.14 Nokonda Road, Cherokee Village, AR 72529
MLS# 26015847Listed by: OZARK GATEWAY REALTY OGW LLC - Open Sun, 2:30 to 3:30pmNew
$134,900Active4 beds 2 baths1,672 sq. ft.88 Wabash Dr, Cherokee Village, AR 72529
MLS# 26015785Listed by: COMPASS ROSE REALTY - New
$50,500Active2 beds 1 baths672 sq. ft.76 Hiawatha Drive, Cherokee Village, AR 72529
MLS# 26015778Listed by: OZARK GATEWAY REALTY OGW LLC - New
$145,000Active2 beds 2 baths1,100 sq. ft.16 Iroquois Drive, Cherokee Village, AR 72529
MLS# 26015758Listed by: KING-RHODES & ASSOCIATES, INC. - New
$175,000Active3 beds 2 baths1,036 sq. ft.81 E Lakeshore Drive, Cherokee Village, AR 72529
MLS# 26015655Listed by: KING-RHODES & ASSOCIATES, INC. - New
$425,000Active4 beds 3 baths2,601 sq. ft.69 Saginaw Circle, Cherokee Village, AR 72529
MLS# 26015663Listed by: KING-RHODES & ASSOCIATES, INC.