2735 S Smith Road, Maricopa Stanfield, AZ 85172
Local realty services provided by:CENTURY 21 Northwest Realty
2735 S Smith Road,Stanfield, AZ 85172
$79,900
- 5.01 Acres
- Lots / Land
- Active
Listed by: jackie d. shields
Office: realty executives arizona territory
MLS#:6785843
Source:ARMLS
Price summary
- Price:$79,900
About this home
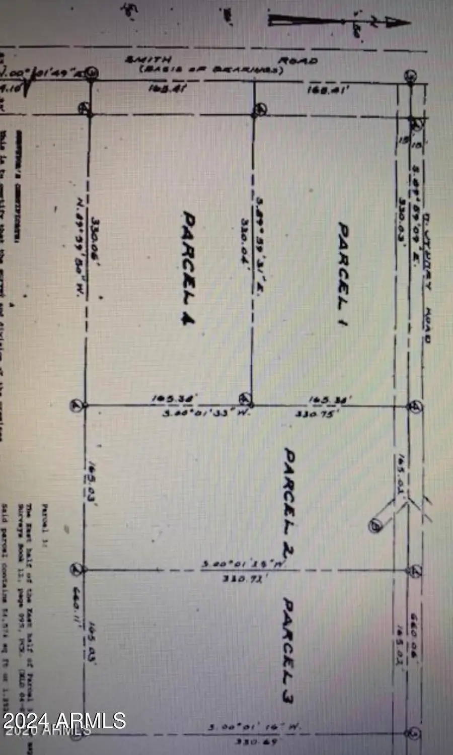
This Scenic, Sub-dividable, Level, 5 Acre Property offers Countless Opportunities & Views for Days! You can Hike or Ride for Miles!Located Near Table Top Mountain Trail. Positioned Between 2 Growing Cities, Maricopa and Casa Grande, Centrally Located Between Phoenix & Tucson & Near 2 Hwys & Great Access To Such Employers Like Lucid Motors, Nikola Motors, Abbott Nutrition, Hexcel, Daisy Brand, Frito Lay, Wal-Mart Distribution Center, Tractor Supply Distribution Center, & more! Please note there is a Record of Survey that subdivided the property into 4 parcels/lots and is included with the sale. Thus, allowing you the Chance to build on one or 2 of the lots and sell off the others. The Record of Survey can be viewed in the photos on this listing & will need to be recorded after closing.
Contact an agent
Home facts
- Listing ID #:6785843
- Updated:December 17, 2025 at 07:44 PM
Structure and exterior
- Lot area:5.01 Acres
Schools
- High school:Casa Grande Union High School
- Middle school:Stanfield Elementary School
- Elementary school:Stanfield Elementary School
Finances and disclosures
- Price:$79,900
- Tax amount:$444 (2024)
New listings near 2735 S Smith Road
- New
$345,000Active3 beds 2 baths1,853 sq. ft.44202 W Palo Olmo Road, Maricopa, AZ 85138
MLS# 6959270Listed by: CENTURY 21 ARIZONA FOOTHILLS - New
$309,900Active4 beds 2 baths1,855 sq. ft.38076 W San Capistrano Avenue, Maricopa, AZ 85138
MLS# 6958992Listed by: MY HOME GROUP REAL ESTATE - New
$329,000Active4 beds 3 baths2,185 sq. ft.42538 W Sunland Drive, Maricopa, AZ 85138
MLS# 6959015Listed by: WEST USA REALTY - New
$279,990Active3 beds 2 baths1,210 sq. ft.36023 W Charity Place, Maricopa, AZ 85138
MLS# 6959048Listed by: LENNAR SALES CORP - New
$248,590Active3 beds 2 baths1,078 sq. ft.36024 W Maddaloni Avenue, Maricopa, AZ 85138
MLS# 6959050Listed by: LENNAR SALES CORP - New
$315,000Active3 beds 2 baths1,481 sq. ft.41793 W Sunland Drive, Maricopa, AZ 85138
MLS# 6958948Listed by: EPIQUE REALTY - New
$325,000Active4 beds 2 baths1,769 sq. ft.36034 W Madrid Avenue, Maricopa, AZ 85138
MLS# 6958852Listed by: A.Z. & ASSOCIATES - New
$405,000Active4 beds 3 baths2,647 sq. ft.45765 W Starlight Drive, Maricopa, AZ 85139
MLS# 6958700Listed by: CITIEA - New
$319,900Active3 beds 2 baths1,882 sq. ft.36425 W Pampoloma Avenue, Maricopa, AZ 85138
MLS# 6958652Listed by: A.Z. & ASSOCIATES - New
$325,000Active4 beds 3 baths2,292 sq. ft.18468 N Comet Trail, Maricopa, AZ 85138
MLS# 6958573Listed by: CITIEA