0 Rancherias Road, Apple Valley, CA 92307
Local realty services provided by:CENTURY 21 Wildwood Properties, Inc.
0 Rancherias Road,Apple Valley, CA 92307
$75,000
- 0.96 Acres
- Lots / Land
- Active
Listed by: mehdi mostaedi, jonathan pollak
Office: nai capital, inc.
MLS#:CRHD25182678
Source:CA_BRIDGEMLS
Price summary
- Price:$75,000
About this home
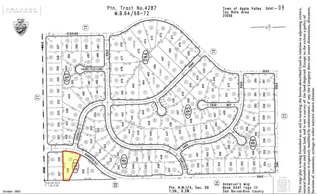
Price reduced for quick sale by motivated seller. All offers considered! ±1 acre of unimproved apartment land for sale on Rancherias Rd in Apple Valley; APN: 0441-092-03. Located just down the street from Apple Valley City Hall, this lot is zoned Multifamily (R-M) and permits up to 20 dwelling units per net acre. Water, sewer, and power are available at site. Nearby amenities include Super Target, Walmart, Albertsons, Starbucks, Dollar Tree, Ross Dress for Less, McDonalds, Del Taco, Jack in the Box, Cold Stone Creamery, Fresh Wok, Panda Express, and more. Apple Valley is home to Brightline West's future High Speed Rail Station and maintenance yard, breaking ground in 2025 and operational by 2028. Connecting Downtown Los Angeles to the Las Vegas Strip. The project will bring an estimated 10,000 jobs. Buyer to verify all information contained herein. Agent and their representatives are not responsible for the accuracy of these claims.
Contact an agent
Home facts
- Listing ID #:CRHD25182678
- Added:182 day(s) ago
- Updated:February 10, 2026 at 04:06 PM
Structure and exterior
- Lot area:0.96 Acres
Finances and disclosures
- Price:$75,000
New listings near 0 Rancherias Road
- New
$599,900Active4 beds 3 baths2,310 sq. ft.12840 Mar Vista Drive, Apple Valley, CA 92308
MLS# CRHD26031180Listed by: REALTY ONE GROUP EMPIRE - New
$480,000Active3 beds 2 baths1,560 sq. ft.21535 Pine Ridge, Apple Valley, CA 92307
MLS# CRCV26031565Listed by: WRIGHT REAL PROPERTY MANAGEMEN - Open Sat, 12 to 3pmNew
$569,900Active4 beds 2 baths2,309 sq. ft.14610 Havasu, Apple Valley, CA 92307
MLS# PW26031345Listed by: KELLER WILLIAMS PACIFIC ESTATE - New
$299,000Active3 beds 2 baths1,560 sq. ft.20865 Tonawanda Road, Apple Valley, CA 92307
MLS# HD26031493Listed by: COLDWELL BANKER HOME SOURCE - New
$52,000Active8.95 Acres0 Joshua, Apple Valley, CA 92308
MLS# HD26031039Listed by: KELLER WILLIAMS HIGH DESERT - New
$419,900Active3 beds 2 baths1,302 sq. ft.14783 Tonikan Lane, Apple Valley, CA 92307
MLS# HD26031377Listed by: VALLEY INSURED PROPERTY MANAGEMENT, INC
$599,700Pending5 beds 4 baths2,500 sq. ft.14498 Savannah Court, Apple Valley, CA 92307
MLS# CRIV26030334Listed by: FUSION ONE REALTY- New
$77,500Active2.5 Acres0 Laramie, Apple Valley, CA 92308
MLS# CRHD26031014Listed by: REAL BROKERAGE TECHNOLOGIES - New
$464,900Active4 beds 3 baths2,134 sq. ft.15620 Ramona, Apple Valley, CA 92307
MLS# CROC26031021Listed by: BIG BLOCK PREMIER - New
$195,000Active0 Acres0 Corwin, Apple Valley, CA 92307
MLS# HD26030782Listed by: FIRST TEAM REAL ESTATE-HIGHDES