300 Apex Avenue, Banning, CA 92220

Local realty services provided by:CENTURY 21 Sierra Properties
300 Apex Avenue,Banning, CA 92220
$1,662,252
  • 3.18 Acres
  • Lots / Land
  • Active
Listed by: lawrence slusser
Office: rise realty
MLS#:CRSW24211775
Source:Bay East, CCAR, bridgeMLS

Price summary

  • Price:$1,662,252

About this home

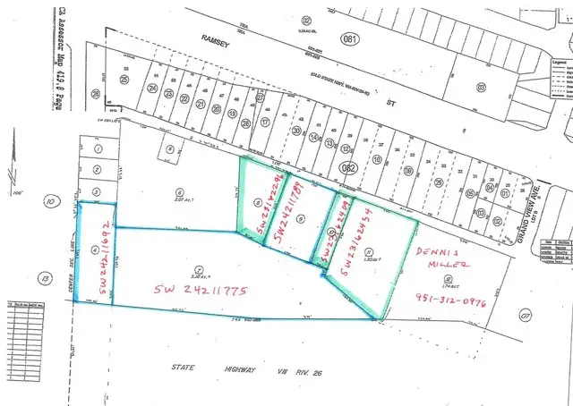
Property ready to develop. Auto mall, RV sales, Furniture and any commercial use. See other listings in area for a title of 10 acres of Interstate 10 freeway frontage property. See photo for parcel map showing available properties.

Contact an agent

contact an agent

Yes, I would like more information. Please use and/or share my information with an independent agent affiliated with the CENTURY 21®  brand to contact me about my real estate needs. By clicking Send message, I request to be contacted by phone or text message and consent to being contacted by automated means. I understand that my consent to receive calls or texts is not a condition of purchasing any property, goods, or services. Alternatively, I understand that I can access real estate services by email or I can contact the agent myself.

If an independent agent affiliated with the CENTURY 21®  brand is not available in the area where I need assistance, I agree to be contacted by a real estate agent affiliated with another brand owned or licensed by Anywhere Real Estate (BHGRE® , Coldwell Banker® , Corcoran® , ERA® , Sotheby's International Realty® ).
 I acknowledge that I have read and agree to theTerms of useandPrivacy notice

Home facts

  • Listing ID #:CRSW24211775
  • Added:541 day(s) ago
  • Updated:April 06, 2026 at 02:34 PM

Structure and exterior

  • Lot area:3.18 Acres
  • Architectural Style:Unimproved Land

Finances and disclosures

  • Price:$1,662,252
MLS LogoBay East 2026. CCAR 2026 bridgeMLS 2026. Information Deemed Reliable But Not Guaranteed. This information is being provided by the Bay East MLS, or CCAR MLS, or bridgeMLS. The listings presented here may or may not be listed by the Broker/Agent operating this website. This information is intended for the personal use of consumers and may not be used for any purpose other than to identify prospective properties consumers may be interested in purchasing. Data last updated at April 6, 2026