0 0, California City, CA 93505

Local realty services provided by:CENTURY 21 Sierra Properties
0 0,California City, CA 93505
$19,000
  • 0.3 Acres
  • Lots / Land
  • Active
Listed by: brian melville
Office: re/max of santa clarita
MLS#:CRSR25252825
Source:Bay East, CCAR, bridgeMLS

Price summary

  • Price:$19,000

About this home

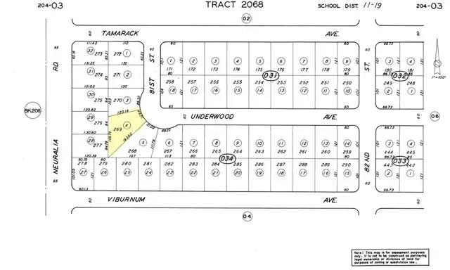
R1 Zoned .30 acres of Vacant land in a developed part of California City. The adjoining parcel (.25 acres APN- 204-034-03-00-2) is also available for sale and separately listed bringing the total of both lots if purchased to .55 Acres. This could be a nice opportunity to build a larger home for the right buyer. Land is flat and useable just off the city street. Houses exist behind this lot, and to the right of it, which could be a strong indicator that utilities may possibly be available. Buyers verify availability of water, power, and sewer.

Contact an agent

contact an agent

Yes, I would like more information. Please use and/or share my information with an independent agent affiliated with the CENTURY 21®  brand to contact me about my real estate needs. By clicking Send message, I request to be contacted by phone or text message and consent to being contacted by automated means. I understand that my consent to receive calls or texts is not a condition of purchasing any property, goods, or services. Alternatively, I understand that I can access real estate services by email or I can contact the agent myself.

If an independent agent affiliated with the CENTURY 21®  brand is not available in the area where I need assistance, I agree to be contacted by a real estate agent affiliated with another brand owned or licensed by Anywhere Real Estate (BHGRE® , Coldwell Banker® , Corcoran® , ERA® , Sotheby's International Realty® ).
 I acknowledge that I have read and agree to theTerms of useandPrivacy notice

Home facts

  • Listing ID #:CRSR25252825
  • Added:142 day(s) ago
  • Updated:March 19, 2026 at 02:37 PM

Structure and exterior

  • Lot area:0.3 Acres
  • Lot Features:Level
  • Architectural Style:Unimproved Land
  • Exterior Features:Level

Finances and disclosures

  • Price:$19,000
MLS LogoBay East 2026. CCAR 2026 bridgeMLS 2026. Information Deemed Reliable But Not Guaranteed. This information is being provided by the Bay East MLS, or CCAR MLS, or bridgeMLS. The listings presented here may or may not be listed by the Broker/Agent operating this website. This information is intended for the personal use of consumers and may not be used for any purpose other than to identify prospective properties consumers may be interested in purchasing. Data last updated at March 19, 2026