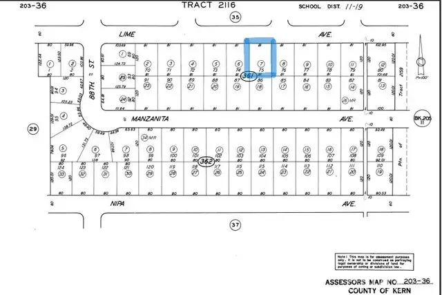
0 Lime, California City, CA 93505

Local realty services provided by:CENTURY 21 Affiliated
0 Lime,California City, CA 93505
$23,500
  • 0 Acres
  • Lots / Land
  • Active
Listed by: barry jason libed
Office: nexthome grandview
MLS#:BB25110157
Source:San Diego MLS via CRMLS

Price summary

  • Price:$23,500

About this home

**PRICE IMPROVEMENT** Prime Residential Lot Near Tierra Del Sol Golf Course in California City. Opportunity awaits with this level and buildable 9,611 sq ft residential lot located in the growing community of California City, just minutes from the Tierra Del Sol Golf Course. Nestled in Kern County, this parcel offers a peaceful desert setting with beautiful mountain views, paved street access nearby, and proximity to parks, and recreational amenities. Whether you're a developer, investor, or future homeowner, this lot provides the ideal canvas to build your vision. The area is experiencing continued growth with affordable land prices and potential for long-term appreciation.

Contact an agent

contact an agent

Yes, I would like more information. Please use and/or share my information with an independent agent affiliated with the CENTURY 21®  brand to contact me about my real estate needs. By clicking Send message, I request to be contacted by phone or text message and consent to being contacted by automated means. I understand that my consent to receive calls or texts is not a condition of purchasing any property, goods, or services. Alternatively, I understand that I can access real estate services by email or I can contact the agent myself.

If an independent agent affiliated with the CENTURY 21®  brand is not available in the area where I need assistance, I agree to be contacted by a real estate agent affiliated with another brand owned or licensed by Anywhere Real Estate (BHGRE® , Coldwell Banker® , Corcoran® , ERA® , Sotheby's International Realty® ).
 I acknowledge that I have read and agree to theTerms of useandPrivacy notice

Home facts

  • Listing ID #:BB25110157
  • Added:278 day(s) ago
  • Updated:February 19, 2026 at 05:35 PM

Finances and disclosures

  • Price:$23,500
MLS LogoThis information is deemed reliable but not guaranteed. You should rely on this information only to decide whether or not to further investigate a particular property. BEFORE MAKING ANY OTHER DECISION, YOU SHOULD PERSONALLY INVESTIGATE THE FACTS (e.g. square footage and lot size) with the assistance of an appropriate professional. You may use this information only to identify properties you may be interested in investigating further. All uses except for personal, non-commercial use in accordance with the foregoing purpose are prohibited. Redistribution or copying of this information, any photographs or video tours is strictly prohibited. This information is derived from the Internet Data Exchange (IDX) service provided by San Diego MLS®. Displayed property listings may be held by a brokerage firm other than the broker and/or agent responsible for this display. The information and any photographs and video tours and the compilation from which they are derived is protected by copyright. Compilation © 2020 San Diego MLS®, Inc.