0 California Avenue, Joshua Tree, CA 92252

Local realty services provided by:CENTURY 21 Valley Properties
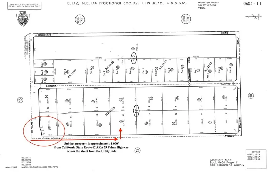
0 California Avenue,Joshua Tree, CA 92252
$37,500
  • 2.31 Acres
  • Lots / Land
  • Active
Listed by: robert koop jr
Office: tekoop properties, inc.949-630-3088
MLS#:NP26033784
Source:CRMLS

Price summary

  • Price:$37,500

About this home

DUTCH AUCTION until sold! Pretty much level 2.31 acre parcel not far from the popular Joshua Tree National Park on the Park side of the Highway. Nearby Utility poles. Beautiful views of the Mountains, great access to the property on a signed and graded road about 1000’ from California State Route 62 aka 29 palms Highway. APPROXIMATE GPS Coordinates from google maps: 34°07'54.1"N 116°16’06.7"W

Contact an agent

contact an agent

Yes, I would like more information. Please use and/or share my information with an independent agent affiliated with the CENTURY 21®  brand to contact me about my real estate needs. By clicking Send message, I request to be contacted by phone or text message and consent to being contacted by automated means. I understand that my consent to receive calls or texts is not a condition of purchasing any property, goods, or services. Alternatively, I understand that I can access real estate services by email or I can contact the agent myself.

If an independent agent affiliated with the CENTURY 21®  brand is not available in the area where I need assistance, I agree to be contacted by a real estate agent affiliated with another brand owned or licensed by Anywhere Real Estate (BHGRE® , Coldwell Banker® , Corcoran® , ERA® , Sotheby's International Realty® ).
 I acknowledge that I have read and agree to theTerms of useandPrivacy notice

Home facts

  • Listing ID #:NP26033784
  • Added:70 day(s) ago
  • Updated:April 25, 2026 at 10:33 AM

Structure and exterior

  • Lot area:2.31 Acres
  • Lot Features:Lot Over 40000 Sqft

Utilities

  • Sewer:Sewer Not Available

Finances and disclosures

  • Price:$37,500
The information being provided by California Regional MLS (Southern California) is for the consumer's personal, non-commercial use and may not be used for any purpose other than to identify prospective properties consumer may be interested in purchasing. Any information relating to real estate for sale referenced on this web site comes from the Internet Data Exchange (IDX) program of the California Regional MLS (Southern California). CENTURY 21 Valley Properties is not a Multiple Listing Service (MLS), nor does it offer MLS access. This website is a service of CENTURY 21 Valley Properties, a broker participant of California Regional MLS (Southern California). This web site may reference real estate listing(s) held by a brokerage firm other than the broker and/or agent who owns this web site. The accuracy of all information, regardless of source, including but not limited to open house information, square footages and lot sizes, is deemed reliable but not guaranteed and should be personally verified through personal inspection by and/or with the appropriate professionals. The data contained herein is copyrighted by California Regional MLS (Southern California) and is protected by all applicable copyright laws. Any unauthorized dissemination of this information is in violation of copyright laws and is strictly prohibited. Copyright 2021 California Regional MLS (Southern California). All rights reserved.