20th West & Ave H4, Lancaster, CA 93534

Local realty services provided by:CENTURY 21 Doug Anderson
20th West & Ave H4,Lancaster, CA 93534
$800,000
  • 11.27 Acres
  • Lots / Land
  • Active
Listed by: jim patton
Office: jpbroker.com
MLS#:21004970
Source:GAVAR

Price summary

  • Price:$800,000

About this home

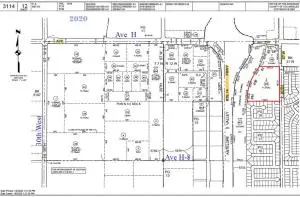
Located in west Lancaster on 20th St West @ Ave H-2 to H-4. Zoned R 7,000. Parcel has an expired Tentative Map (060818) for 46 lots with lot sizes averaging 7,000 sq feet each. Parcel is 400 feet east of the Fwy 14, making this area attractive to future homeowners that need to commute. All utilities on 20th St West. Contiguous to housing tract on the south. A second housing tract is located directly across 20th St West. AV Fairgrounds is just across the Fwy 14 on Ave H. All cash. Buyer and buyer's agent to verify all information provided herein by listing broker.

Contact an agent

contact an agent

Yes, I would like more information. Please use and/or share my information with an independent agent affiliated with the CENTURY 21®  brand to contact me about my real estate needs. By clicking Send message, I request to be contacted by phone or text message and consent to being contacted by automated means. I understand that my consent to receive calls or texts is not a condition of purchasing any property, goods, or services. Alternatively, I understand that I can access real estate services by email or I can contact the agent myself.

If an independent agent affiliated with the CENTURY 21®  brand is not available in the area where I need assistance, I agree to be contacted by a real estate agent affiliated with another brand owned or licensed by Anywhere Real Estate (BHGRE® , Coldwell Banker® , Corcoran® , ERA® , Sotheby's International Realty® ).
 I acknowledge that I have read and agree to theTerms of useandPrivacy notice

Home facts

  • Listing ID #:21004970
  • Added:1084 day(s) ago
  • Updated:January 16, 2026 at 11:28 AM

Structure and exterior

  • Lot area:11.27 Acres

Finances and disclosures

  • Price:$800,000
IDX information is provided exclusively for consumers’ personal, non-commercial use and that it may not be used for any purpose other than to identify prospective properties consumers may be interested in purchasing. Information is supplied by seller and otherthirdparties and has not been verified. Copyright 2026 –Multiple Listing Service, Inc. –All Rights Reserved”