98 Stw Del Sur, Lancaster, CA 93536
Local realty services provided by:CENTURY 21 Doug Anderson
98 Stw Del Sur,Lancaster, CA 93536
$13,000
- - Acres
- Lots / Land
- Sold
Listed by:
MLS#:25007858
Source:GAVAR
Sorry, we are unable to map this address
Price summary
- Price:$13,000
About this home
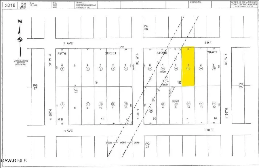
7,554 sq ft residential lot near Ave I-9 and 98th St W in the Del Sur area of west Lancaster. Zoned A-2-2 (Heavy Agricultural) for residential or agricultural use. Flat, rectangular parcel with dirt-road access just north of paved Ave J. Enjoy peaceful desert scenery with nearby conveniences—Chevron & Shell stations, Starbucks, Walmart Supercenter, and Lancaster Marketplace about 10 minutes away. Close to Apollo Community Regional Park, the Antelope Valley Fairgrounds, and AV College. Commuter access to Highway 14 and major employers such as Edwards AFB and Northrop Grumman. Great opportunity for an affordable long-term hold or small-scale rural use. Buyer to verify zoning, access, and utilities with Los Angeles County. APN 3218-026-032 - Fifth Street Store Tract. Discover a peaceful rural setting just minutes from city conveniences. This 7,554 sq ft residential lot (0.17 acres) sits near Avenue I-9 and 98th Street West in the Del Sur area of West Lancaster. Zoned A-2-2 (Heavy Agricultural), it allows residential and agricultural uses, including single-family homes, small livestock, gardens, and hobby farming (buyer to verify all uses with Los Angeles County).
The parcel is flat, rectangular, and easily accessible from paved Avenue J by a short dirt road. Surrounding parcels show light rural activity and open desert views, offering a quiet investment or personal retreat spot.
Just 10-15 minutes away you'll find Apollo Community Regional Park, Antelope Valley College, the AV Fair & Event Center, Lancaster Marketplace, and major shopping along 10th Street West including Walmart Supercenter, Target, Home Depot, Starbucks, and In-N-Out Burger. Nearby fuel options include Chevron, Shell, and 7-Eleven, with quick commuter routes to Highway 14, Edwards Air Force Base, and Northrop Grummantwo of the Antelope Valley's largest employers.
Del Sur is known for its expansive skies, mountain horizons, and growing long-term value as west Lancaster continues to develop. Whether held for future appreciation, small-scale use, or as a quiet escape from the city, this parcel offers an affordable entry into Los Angeles County land ownership.
Buyer to verify all zoning, access, building potential, and utility proximity with the Los Angeles County Department of Regional Planning and relevant providers.
APN 3218-026-032 | Fifth Street Store Tract Lot 3 Blk 10
Contact an agent
Home facts
- Listing ID #:25007858
- Added:154 day(s) ago
- Updated:March 12, 2026 at 06:40 AM
Finances and disclosures
- Price:$13,000
Features and amenities
- Laundry features:Laundry Room
New listings near 98 Stw Del Sur
- New
$500,000Active4 beds 3 baths2,441 sq. ft.43626 Cajun Street, Lancaster, CA 93535
MLS# 26002072Listed by: RE/MAX ALL-PRO - New
$477,495Active3 beds 2 baths2,123 sq. ft.50047 250th W, Lancaster, CA 93536
MLS# DW26054016Listed by: GOOD OPPORTUNITY COMPANY INC. - New
$70,000Active2.16 Acres10 W Stw Vic Avenue # H10, Lancaster, CA 93536
MLS# 26002065Listed by: HOMESMART AV - New
$85,000Active0 Acres0 Avenue G, Lancaster, CA 93536
MLS# SR26052520Listed by: RE/MAX ALL-PRO - New
$799,999Active4 beds 4 baths2,912 sq. ft.41861 Montallegro Street, Lancaster, CA 93536
MLS# SR26053124Listed by: EXP REALTY OF GREATER LOS ANGELES, INC. - New
$52,500Active2.38 AcresAve H Vic 48th St E, Lancaster, CA 93535
MLS# 26002064Listed by: REAL ESTATE PROFESSIONALS OF A.V. - Open Sun, 11am to 1pmNew
$649,990Active5 beds 4 baths3,419 sq. ft.5832 W Avenue K-2, Lancaster, CA 93536
MLS# 26002057Listed by: REAL BROKERAGE TECHNOLOGIES - New
$550,000Active5 beds 3 baths2,860 sq. ft.45667 W 21st Street, Lancaster, CA 93536
MLS# 26002060Listed by: RE/MAX ALL-PRO - New
$549,900Active3 beds 3 baths2,032 sq. ft.2701 W Avenue K1, Lancaster, CA 93536
MLS# 26002062Listed by: BERKSHIRE HATHAWAY HOMESERVICES TROTH, REALTORS - New
$17,000Active0 AcresVic Avenue G4 E 84 St East #00, Lancaster, CA 93535
MLS# 260005700Listed by: NA CAPITAL, INC.