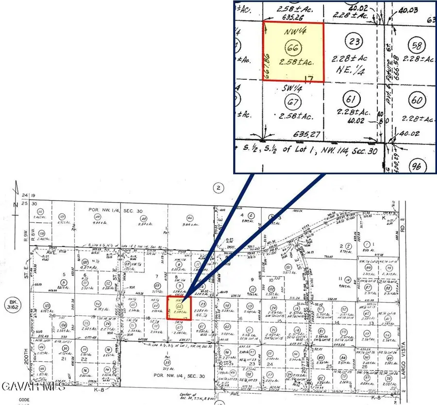
E 205th Street, Lancaster, CA 93535

Local realty services provided by:CENTURY 21 Doug Anderson
E 205th Street,Lancaster, CA 93535
$9,500
  • 2.58 Acres
  • Lots / Land
  • Active
Listed by: john fidyk
Office: coldwell banker commercial/valley realty
MLS#:25006389
Source:GAVAR

Price summary

  • Price:$9,500

About this home

Excellent investment opportunity to buy and hold! Located in the Hi Vista area, this 2.58+/- acre parcel offers wrap around views of the High Desert. Scattered home/ranches are to the north including one near the property. Property is also near Saddleback Butte State Park. Dirt trails and future unpaved streets are within close proximity to the property being 205th St. E, Avenue K-8 and Largo Vista Rd. Property might have legal access (buyer to verify).

Contact an agent

contact an agent

Yes, I would like more information. Please use and/or share my information with an independent agent affiliated with the CENTURY 21®  brand to contact me about my real estate needs. By clicking Send message, I request to be contacted by phone or text message and consent to being contacted by automated means. I understand that my consent to receive calls or texts is not a condition of purchasing any property, goods, or services. Alternatively, I understand that I can access real estate services by email or I can contact the agent myself.

If an independent agent affiliated with the CENTURY 21®  brand is not available in the area where I need assistance, I agree to be contacted by a real estate agent affiliated with another brand owned or licensed by Anywhere Real Estate (BHGRE® , Coldwell Banker® , Corcoran® , ERA® , Sotheby's International Realty® ).
 I acknowledge that I have read and agree to theTerms of useandPrivacy notice

Home facts

  • Listing ID #:25006389
  • Added:198 day(s) ago
  • Updated:March 01, 2026 at 11:19 AM

Structure and exterior

  • Lot area:2.58 Acres
  • Lot Features:Square

Finances and disclosures

  • Price:$9,500
IDX information is provided exclusively for consumers’ personal, non-commercial use and that it may not be used for any purpose other than to identify prospective properties consumers may be interested in purchasing. Information is supplied by seller and otherthirdparties and has not been verified. Copyright 2026 –Multiple Listing Service, Inc. –All Rights Reserved”