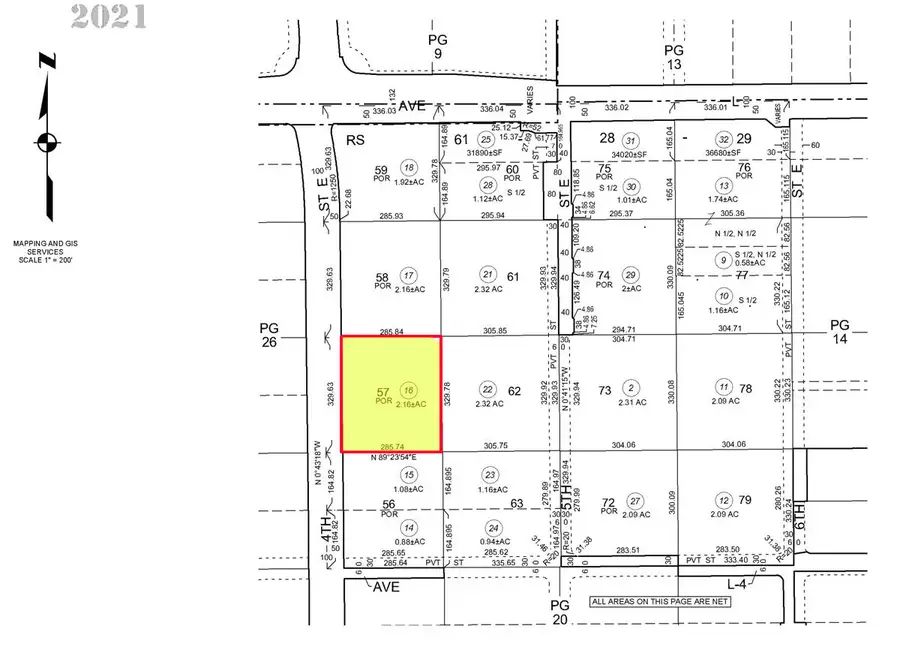
E 4th Street, Lancaster, CA 93535

Local realty services provided by:CENTURY 21 Doug Anderson
E 4th Street,Lancaster, CA 93535
$550,000
  • 2.16 Acres
  • Lots / Land
  • Active
Listed by: harvey holloway
Office: coldwell banker commercial/valley realty
MLS#:25002450
Source:GAVAR

Price summary

  • Price:$550,000

About this home

This 2.16+/- acres is zoned for Heavy Industrial use and boasts excellent visibility along 4th St East! The parcel's 329+/- feet of paved street frontage also provides a variety of design possibilities. The Heavy Industrial zoning offers the most flexible industrial options in the city of Lancaster, accommodating a very broad range of industrial uses! The lot is fully fenced and has a gravel base, making it an ideal location for a contractor's yard, truck/equipment storage, or a variety of other industrial uses. Its prime ''mid-cities'' location is just minutes from the AV Freeway via the Avenue L overpass! Landale Mutual Water Company is the water purveyor with elect/phone and natural gas available on 4th Street (buyer to verify). Property is currently rented on month to month tenancy.

Contact an agent

contact an agent

Yes, I would like more information. Please use and/or share my information with an independent agent affiliated with the CENTURY 21®  brand to contact me about my real estate needs. By clicking Send message, I request to be contacted by phone or text message and consent to being contacted by automated means. I understand that my consent to receive calls or texts is not a condition of purchasing any property, goods, or services. Alternatively, I understand that I can access real estate services by email or I can contact the agent myself.

If an independent agent affiliated with the CENTURY 21®  brand is not available in the area where I need assistance, I agree to be contacted by a real estate agent affiliated with another brand owned or licensed by Anywhere Real Estate (BHGRE® , Coldwell Banker® , Corcoran® , ERA® , Sotheby's International Realty® ).
 I acknowledge that I have read and agree to theTerms of useandPrivacy notice

Home facts

  • Listing ID #:25002450
  • Added:343 day(s) ago
  • Updated:March 10, 2026 at 10:30 AM

Structure and exterior

  • Lot area:2.16 Acres
  • Lot Features:Square

Utilities

  • Water:Mutual, Stock

Finances and disclosures

  • Price:$550,000
IDX information is provided exclusively for consumers’ personal, non-commercial use and that it may not be used for any purpose other than to identify prospective properties consumers may be interested in purchasing. Information is supplied by seller and otherthirdparties and has not been verified. Copyright 2026 –Multiple Listing Service, Inc. –All Rights Reserved”