Address Withheld By Seller, Los Angeles, CA 90045

Local realty services provided by:CENTURY 21 Select Real Estate, Inc.
Address Withheld By Seller,Los Angeles, CA 90045
$850,000
  • 1.48 Acres
  • Lots / Land
  • Active
Listed by: jonathan rawson
Office: avenue realty group
MLS#:23330577
Source:CRMLS

Sorry, we are unable to map this address


Price summary

  • Price:$850,000

About this home

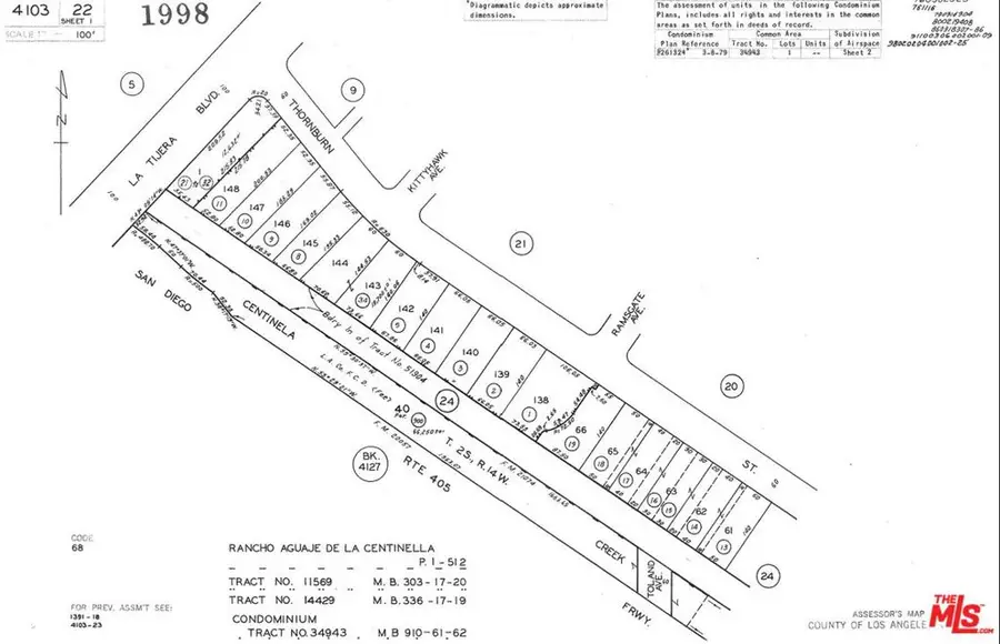
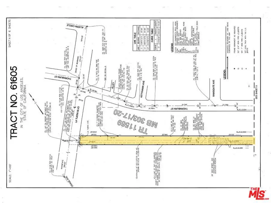
Lot 7, Tract 61605 (APN: 4103-024-032) is a rare and unique opportunity to own 1.49 acres of LAR1 vacant land in prime Westchester, located just minutes to SoFi Stadium, Intuit Dome, Hollywood Park Casino, Kenneth Hahn, Playa Vista, and much more. Very centrally located near the Metro/Expo lines, and the 405-freeway entrance/exits. The land can be bought together with 5400 Thornburn Street, which is a Triplex that is directly in front of Lot 7 and is for sale for $1,150,000 with 2 of 3 units delivered vacant at closing. 5400 Thornburn Street sits on a 12,931 SF lot and is zoned LAR3. The next owner can consider doing a lot line adjustment between Lot 7 and 5400 Thornburn Street to connect the two lots and create a large parcel assemblage for re-development. Seller financing may be available to a Buyer to help weather the current state of the debt markets. Scanned copies of the official track maps are available in the documents folder on the MLS. The property address listed on the MLS

Contact an agent

contact an agent

Yes, I would like more information. Please use and/or share my information with an independent agent affiliated with the CENTURY 21®  brand to contact me about my real estate needs. By clicking Send message, I request to be contacted by phone or text message and consent to being contacted by automated means. I understand that my consent to receive calls or texts is not a condition of purchasing any property, goods, or services. Alternatively, I understand that I can access real estate services by email or I can contact the agent myself.

If an independent agent affiliated with the CENTURY 21®  brand is not available in the area where I need assistance, I agree to be contacted by a real estate agent affiliated with another brand owned or licensed by Anywhere Real Estate (BHGRE® , Coldwell Banker® , Corcoran® , ERA® , Sotheby's International Realty® ).
 I acknowledge that I have read and agree to theTerms of useandPrivacy notice

Home facts

  • Listing ID #:23330577
  • Added:819 day(s) ago
  • Updated:February 10, 2026 at 11:45 AM

Structure and exterior

  • Lot area:1.48 Acres

Finances and disclosures

  • Price:$850,000
The information being provided by California Regional MLS (Southern California) is for the consumer's personal, non-commercial use and may not be used for any purpose other than to identify prospective properties consumer may be interested in purchasing. Any information relating to real estate for sale referenced on this web site comes from the Internet Data Exchange (IDX) program of the California Regional MLS (Southern California). CENTURY 21 Select Real Estate, Inc. is not a Multiple Listing Service (MLS), nor does it offer MLS access. This website is a service of CENTURY 21 Select Real Estate, Inc., a broker participant of California Regional MLS (Southern California). This web site may reference real estate listing(s) held by a brokerage firm other than the broker and/or agent who owns this web site. The accuracy of all information, regardless of source, including but not limited to open house information, square footages and lot sizes, is deemed reliable but not guaranteed and should be personally verified through personal inspection by and/or with the appropriate professionals. The data contained herein is copyrighted by California Regional MLS (Southern California) and is protected by all applicable copyright laws. Any unauthorized dissemination of this information is in violation of copyright laws and is strictly prohibited. Copyright 2021 California Regional MLS (Southern California). All rights reserved.