1081 E Gerard Avenue, Merced, CA 95341

Local realty services provided by:CENTURY 21 Experience
1081 E Gerard Avenue,Merced, CA 95341
$1,350,000
  • 17.99 Acres
  • Lots / Land
  • Active
Listed by: ernesto ochoa
Office: keller williams property team
MLS#:MC24180605
Source:CRMLS

Price summary

  • Price:$1,350,000

About this home

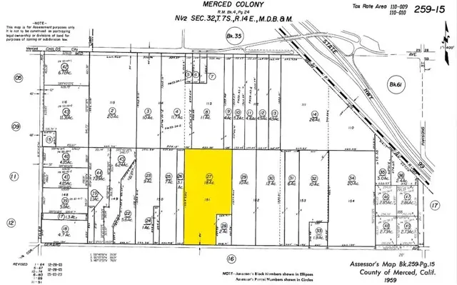
Here is an 18-acre walnut ranch with industrial development potential for sale! The chandler variety walnut orchard was planted in 2017 and the ranch is situated in southeast Merced. This parcel is close to city limits and Hwy 99/UC Merced Campus Expressway, an area anticipated for significant growth and development. The city sewer lines are accessible at Gerard Ave, with future City plans to extend additional utilities to Mission Ave to support new developments. The vicinity is experiencing robust expansion near Mission Ave and retail growth at the new Gateway Marketplace by Hwy 99. This land is zoned M-2 for heavy industrial/manufacturing uses and align with the City of Merced's General Plan for industrial development. The irrigation is currently via a double line drip irrigation system and the ranch is within the Merced Irrigation District for access to Class I district water. However, their current irrigation comes from a well situated across the road on the owner's separate

Contact an agent

contact an agent

Yes, I would like more information from CENTURY 21®. Please use and/or share my information with an CENTURY 21 affiliated agent to contact me about my real estate needs. By clicking Send message, I agree an CENTURY 21 affiliated agent may contact me by phone or text message including by automated means about real estate services, and that I can access real estate services without providing my phone number. I acknowledge that I have read and agree to theTerms of useandPrivacy notice

Home facts

  • Listing ID #:MC24180605
  • Added:473 day(s) ago
  • Updated:December 17, 2025 at 01:34 PM

Structure and exterior

  • Lot area:17.99 Acres

Utilities

  • Water:SharedWell

Finances and disclosures

  • Price:$1,350,000
The information being provided by California Regional MLS (Southern California) is for the consumer's personal, non-commercial use and may not be used for any purpose other than to identify prospective properties consumer may be interested in purchasing. Any information relating to real estate for sale referenced on this web site comes from the Internet Data Exchange (IDX) program of the California Regional MLS (Southern California). CENTURY 21 Experience is not a Multiple Listing Service (MLS), nor does it offer MLS access. This website is a service of CENTURY 21 Experience, a broker participant of California Regional MLS (Southern California). This web site may reference real estate listing(s) held by a brokerage firm other than the broker and/or agent who owns this web site. The accuracy of all information, regardless of source, including but not limited to open house information, square footages and lot sizes, is deemed reliable but not guaranteed and should be personally verified through personal inspection by and/or with the appropriate professionals. The data contained herein is copyrighted by California Regional MLS (Southern California) and is protected by all applicable copyright laws. Any unauthorized dissemination of this information is in violation of copyright laws and is strictly prohibited. Copyright 2021 California Regional MLS (Southern California). All rights reserved.