10 AC Greenview Road, Newberry Springs, CA 92365

Local realty services provided by:CENTURY 21 Fort Bragg Realty
10 AC Greenview Road,Newberry Springs, CA 92365
$17,950
  • 10.66 Acres
  • Lots / Land
  • Active
Listed by: kristen maley, john maley
Office: landcore realty
MLS#:HD25232018
Source:CRMLS

Price summary

  • Price:$17,950

About this home

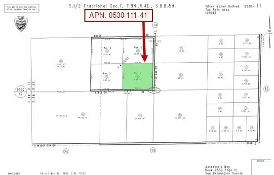
10.66 Acres (APN: 0530-111-41) GPS: 34.883588, -116.600005 This 10-acre property is located along Atherton Drive in the quiet desert community of Newberry Springs, San Bernardino County. This property is zoned both Rural Living- 5 Ac Minimum (RL-5) and Rural Commercial (CR), offering exceptional versatility. RL zoning supports residential uses such as single-family or manufactured homes, agriculture, animal keeping, agritourism, and the potential to subdivide into 5-acre parcels. CR zoning expands opportunities to include retail, lodging, repair services, recreation, and entertainment uses, with housing density of up to 2 units per acre in the desert region. Both zones allow renewable energy facilities, making this property attractive for a wide range of residential, commercial, and investment possibilities. Utilities in the area include overhead electricity approximately 1340 ft south along Valley Center Rd., with residents relying on private water wells, septic systems, and propane

Contact an agent

contact an agent

Yes, I would like more information. Please use and/or share my information with an independent agent affiliated with the CENTURY 21®  brand to contact me about my real estate needs. By clicking Send message, I request to be contacted by phone or text message and consent to being contacted by automated means. I understand that my consent to receive calls or texts is not a condition of purchasing any property, goods, or services. Alternatively, I understand that I can access real estate services by email or I can contact the agent myself.

If an independent agent affiliated with the CENTURY 21®  brand is not available in the area where I need assistance, I agree to be contacted by a real estate agent affiliated with another brand owned or licensed by Anywhere Real Estate (BHGRE® , Coldwell Banker® , Corcoran® , ERA® , Sotheby's International Realty® ).
 I acknowledge that I have read and agree to theTerms of useandPrivacy notice

Home facts

  • Listing ID #:HD25232018
  • Added:117 day(s) ago
  • Updated:January 25, 2026 at 11:31 AM

Structure and exterior

  • Lot area:10.66 Acres

Utilities

  • Sewer:Sewer Not Available

Finances and disclosures

  • Price:$17,950
The information being provided by California Regional MLS (Southern California) is for the consumer's personal, non-commercial use and may not be used for any purpose other than to identify prospective properties consumer may be interested in purchasing. Any information relating to real estate for sale referenced on this web site comes from the Internet Data Exchange (IDX) program of the California Regional MLS (Southern California). CENTURY 21 Fort Bragg Realty is not a Multiple Listing Service (MLS), nor does it offer MLS access. This website is a service of CENTURY 21 Fort Bragg Realty, a broker participant of California Regional MLS (Southern California). This web site may reference real estate listing(s) held by a brokerage firm other than the broker and/or agent who owns this web site. The accuracy of all information, regardless of source, including but not limited to open house information, square footages and lot sizes, is deemed reliable but not guaranteed and should be personally verified through personal inspection by and/or with the appropriate professionals. The data contained herein is copyrighted by California Regional MLS (Southern California) and is protected by all applicable copyright laws. Any unauthorized dissemination of this information is in violation of copyright laws and is strictly prohibited. Copyright 2021 California Regional MLS (Southern California). All rights reserved.