3978 Mary Avenue, Olivehurst, CA 95961
Local realty services provided by:CENTURY 21 Select Real Estate, Inc.
3978 Mary Avenue,Olivehurst, CA 95961
$2,925,000
- 27.17 Acres
- Lots / Land
- Active
Listed by: gregory quilty
Office: coldwell banker commercial - valley brokers
MLS#:226043092
Source:MFMLS
Price summary
- Price:$2,925,000
About this home
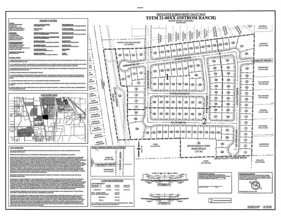
Welcome to Ostrom Ranch. The project consists of a tentative subdivision tract map that would create 117 residential lots on 21.83 acres, a Lot A - Clark Lateral on 1.27 acres, and a Lot B - OPUD or Open Space on 2.06 acres of a 25.16-acre property. The project site is located at 3978 Unit #A Mary Avenue, at the south end of Donald Drive and 350 feet west of Mary Avenue, in the Olivehurst Community (APN: 014-850-014-000). The site is bordered by Mary Avenue to the east, the Union Pacific railroad (UPRR) tracks to the west, and the Olivehurst Public Utility District's (OPUD) Wastewater Treatment Facility to the south. The 2030 General Plan designates the land use as Valley Neighborhood and the zoning is RS'' Single Family Residential. The Ostrom Ranch Subdivision proposes 117 residences on roughly 25 acres for a density of 4.65 dwelling units per acre. The RS'' zoning allows a density on the site of 3 to 8 units per care. The property is currently undeveloped and vacant. Access will be on Donald Drive and a new 30 foot road, Hensley Drive, off of Mary Avenue. There are six new internal street proposed: Donald Drive, Bryne Drive, Brianna Way, Darrach Drive, Katz Drive, and Lorelai Way that will meet the 48 foot residential road width requirements. All roads will be required to be built to County Urban Local Road standards as a Condition of Approval of the map....
Contact an agent
Home facts
- Listing ID #:226043092
- Added:1 day(s) ago
- Updated:April 10, 2026 at 02:53 PM
Structure and exterior
- Lot area:27.17 Acres
- Lot Features:Shape Regular
Finances and disclosures
- Price:$2,925,000
New listings near 3978 Mary Avenue
- New
$552,340Active3 beds 3 baths2,249 sq. ft.1372 Eiffel Drive, Plumas Lake, CA 95961
MLS# 226043959Listed by: K. HOVNANIAN CALIFORNIA OPERATIONS - New
$525,000Active4 beds 2 baths1,951 sq. ft.1398 Elkins Circle, Olivehurst, CA 95961
MLS# 226043687Listed by: CORNERSTONE REAL ESTATE, HOME LOANS & PROPERTY MANAGEMENT, INC - Open Sat, 11am to 2pmNew
$490,000Active4 beds 2 baths1,830 sq. ft.2057 Skipper Cove Way, Plumas Lake, CA 95961
MLS# 226041789Listed by: GUIDE REAL ESTATE - Open Fri, 4 to 6pmNew
$299,999Active2 beds 1 baths875 sq. ft.4349 Olivehurst Avenue, Olivehurst, CA 95961
MLS# 226042953Listed by: EXP REALTY OF CALIFORNIA, INC. - New
$442,500Active3 beds 2 baths1,644 sq. ft.1393 Meadow Ranch Street, Plumas Lake, CA 95961
MLS# 226043434Listed by: NEXTHOME HAVEN PROPERTIES - New
$130,000Active3 beds 2 baths1,440 sq. ft.43 Via Grande, Olivehurst, CA 95901
MLS# 226043600Listed by: KELLER WILLIAMS REALTY-YUBA SUTTER - Open Sat, 11am to 1pmNew
$499,900Active3 beds 2 baths1,508 sq. ft.3777 Arcano Avenue, Olivehurst, CA 95961
MLS# 226042924Listed by: WINDERMERE SIGNATURE PROPERTIES FAIR OAKS - Open Sat, 11am to 1pmNew
$299,900Active3 beds 2 baths1,118 sq. ft.1022 Fleda Avenue, Olivehurst, CA 95961
MLS# 226042952Listed by: EXP REALTY OF CALIFORNIA INC. - Open Sat, 11am to 4pmNew
$449,900Active3 beds 2 baths1,500 sq. ft.3812 Alexander Circle, Olivehurst, CA 95961
MLS# 226042058Listed by: THE ADVANTAGE GROUP