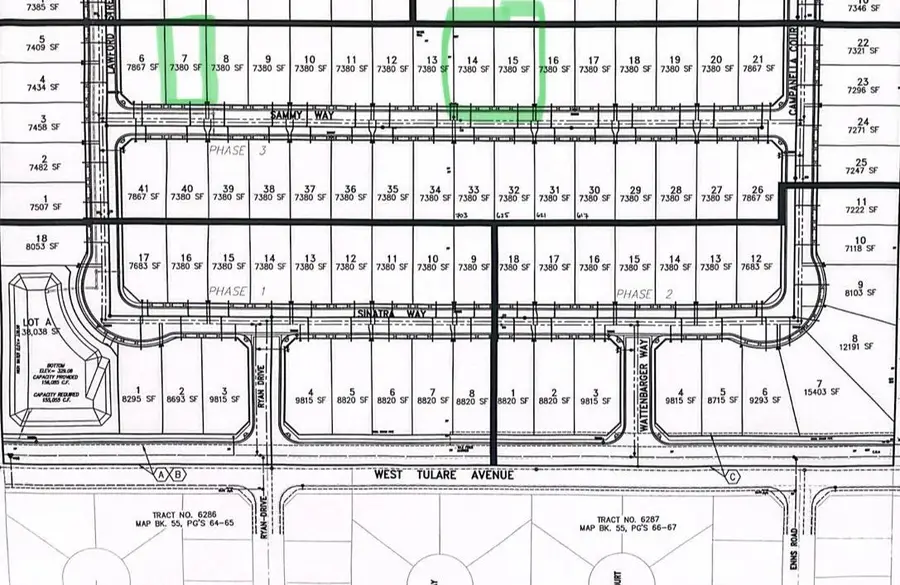
732 SAMMY WAY, Shafter, CA 93263
Local realty services provided by:CENTURY 21 Jordan-Link
732 SAMMY WAY,Shafter, CA 93263
$129,000
- 0.17 Acres
- Lots / Land
- Active
Listed by: dan shanyfelt, tara l lyons
Office: miramar realty
MLS#:202502295
Source:BF
Price summary
- Price:$129,000
About this home
Attention Builders! RARE ready-to-build single finished lots available in the city of Shafter, CA. Lots are approximately 7,380 sqft, 60-feet wide in a master-planned, new construction community. Build in one of the friendliest cities to contractors, Shafter also has more competitive permit fees than surrounding communities. The tract itself has block wall exterior and big, wide streets. Development also has NO HOA. Great location with easy access to highway and walking distance to Apple Market and schools. A new community park is scheduled to be built adjacent to development in late 2025. Public water, gas & sewer. All Builders must be approved. Lot financing also available in some instances - inquire with listing agent. Tract 7318.
Contact an agent
Home facts
- Listing ID #:202502295
- Added:291 day(s) ago
- Updated:December 14, 2025 at 03:20 PM
Structure and exterior
- Lot area:0.17 Acres
Schools
- High school:Shafter
- Middle school:Richland
- Elementary school:Richland
Finances and disclosures
- Price:$129,000
New listings near 732 SAMMY WAY
- New
$275,000Active3 beds 1 baths1,026 sq. ft.278 Walnut, Shafter, CA 93263
MLS# CRMC25275640Listed by: A2Z HOMES, INC. - New
$320,000Active3 beds 2 baths1,120 sq. ft.262 FLORES WAY, Shafter, CA 93263
MLS# 202513227Listed by: KELLER WILLIAMS REALTY
$475,000Pending4 beds 3 baths2,029 sq. ft.612 HITCHCOCK AVENUE, Shafter, CA 93263
MLS# 202513501Listed by: OPEN DOOR REAL ESTATE
$124,950Pending3 beds 2 baths1,265 sq. ft.580 HARRIS DRIVE, Shafter, CA 93263
MLS# 202513392Listed by: SIERRA CENTRAL REAL ESTATE- New
$445,990Active4 beds 2 baths707 SAMMY WAY, Shafter, CA 93263
MLS# 202513218Listed by: SCOTT RIVERA REAL ESTATE TEAM, INC. - New
$300,000Active3 beds 2 baths1,666 sq. ft.450 ATLANTIC AVENUE, Shafter, CA 93263
MLS# 202513306Listed by: PREMIER HOME ADVISORS INC.
$364,900Pending3 beds 2 baths1,205 sq. ft.260 MAPLE STREET, Shafter, CA 93263
MLS# 202512982Listed by: OPEN DOOR REAL ESTATE
$454,950Active3 beds 2 baths3830 HICKORY VILLAGE LANE, Shafter, CA 93263
MLS# 202513080Listed by: MIRAMAR REALTY
$454,950Active4 beds 3 baths3826 HICKORY VILLAGE LANE, Shafter, CA 93263
MLS# 202513081Listed by: MIRAMAR REALTY
$999,999Active24.23 Acres0 SEC SHAFTER AVENUE, Shafter, CA 93263
MLS# 202513082Listed by: EXIT REALTY CONSULTANTS