9971 Foothill Boulevard, Sylmar, CA 91342

Local realty services provided by:CENTURY 21 Doug Anderson
9971 Foothill Boulevard,Sylmar, CA 91342
$1,650,000
  • 2.58 Acres
  • Lots / Land
  • Active
Listed by: cathleen trope
Office: real brokerage technologies
MLS#:25009522
Source:GAVAR

Price summary

  • Price:$1,650,000

About this home

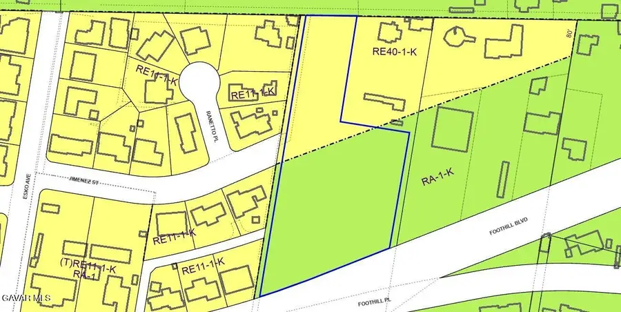
Stunning 2.5 acre parcel with Foothill Boulevard frontage and mature shade trees, surrounded by peaceful equestrian properties. Mostly flat with one gentle slope and higher tier perfect for a new home overlooking the rest of the property. This area is the heart of Los Angeles horse country with premier horseshow venue Hansen Dam Equestrian Center less than two miles away and California Polo Club, host of the U.S. Arena Polo Championships less than three miles away. Scenic and well maintained riding trails abound. Turn right out of the property and make a left at the light at Wheatland to get on the freeway hassle-free with even the largest truck and horse trailer. Convenient location just minutes from Burbank, Hollywood, and more. Current owner was able to successfully obtain a conditional use permit for a therapeutic riding program. Split zoning - see ZIMAS zoning map in pictures. Buyer to do their own due diligence regarding whether zoning is compatible with their intended

Contact an agent

contact an agent

Yes, I would like more information. Please use and/or share my information with an independent agent affiliated with the CENTURY 21®  brand to contact me about my real estate needs. By clicking Send message, I request to be contacted by phone or text message and consent to being contacted by automated means. I understand that my consent to receive calls or texts is not a condition of purchasing any property, goods, or services. Alternatively, I understand that I can access real estate services by email or I can contact the agent myself.

If an independent agent affiliated with the CENTURY 21®  brand is not available in the area where I need assistance, I agree to be contacted by a real estate agent affiliated with another brand owned or licensed by Anywhere Real Estate (BHGRE® , Coldwell Banker® , Corcoran® , ERA® , Sotheby's International Realty® ).
 I acknowledge that I have read and agree to theTerms of useandPrivacy notice

Home facts

  • Listing ID #:25009522
  • Added:1 day(s) ago
  • Updated:December 31, 2025 at 09:10 PM

Structure and exterior

  • Lot area:2.58 Acres

Finances and disclosures

  • Price:$1,650,000
IDX information is provided exclusively for consumers’ personal, non-commercial use and that it may not be used for any purpose other than to identify prospective properties consumers may be interested in purchasing. Information is supplied by seller and otherthirdparties and has not been verified. Copyright 2025 –Multiple Listing Service, Inc. –All Rights Reserved”