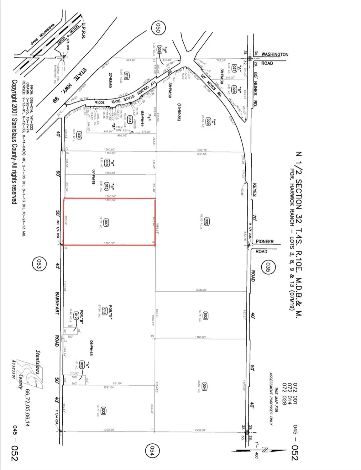
0 W Barnhart Road, Turlock, CA 95382

Local realty services provided by:CENTURY 21 Select Real Estate, Inc.
0 W Barnhart Road,Turlock, CA 95382
$3,450,000
  • 19.77 Acres
  • Lots / Land
  • Active
Listed by: kiranpal sohal
Office: pmz real estate
MLS#:224133814
Source:MFMLS

Price summary

  • Price:$3,450,000

About this home

MAJOR PRICE DROP! OWNER FINANCING AVAILABLE. This is the excellent investment for future business opportunities. 19.77 acres rectangular lot in close proximity of HWY 99 from Taylor Rd exit and Keyes Rd exit. Property is at the close proximity of new Freightliner, valley Peterbilt, and Freshpoint. New Amazon fulfill center is only four miles away. In addition, a new Pilot/Flying J coming soon on/near the same exit.

Contact an agent

contact an agent

Yes, I would like more information. Please use and/or share my information with an independent agent affiliated with the CENTURY 21®  brand to contact me about my real estate needs. By clicking Send message, I request to be contacted by phone or text message and consent to being contacted by automated means. I understand that my consent to receive calls or texts is not a condition of purchasing any property, goods, or services. Alternatively, I understand that I can access real estate services by email or I can contact the agent myself.

If an independent agent affiliated with the CENTURY 21®  brand is not available in the area where I need assistance, I agree to be contacted by a real estate agent affiliated with another brand owned or licensed by Anywhere Real Estate (BHGRE® , Coldwell Banker® , Corcoran® , ERA® , Sotheby's International Realty® ).
 I acknowledge that I have read and agree to theTerms of useandPrivacy notice

Home facts

  • Listing ID #:224133814
  • Added:440 day(s) ago
  • Updated:March 03, 2026 at 03:53 PM

Structure and exterior

  • Lot area:19.77 Acres
  • Lot Features:Paved

Finances and disclosures

  • Price:$3,450,000
MLS LogoMetroList MLS 2026. This information is being provided by MetroList MLS. All measurements and calculations of area are approximate. Information provided by Seller/Other sources, not verified by Broker. All interested persons should independently verify accuracy of information. Provided properties may or may not be listed by the office/agent presenting the information. Data Updated: March 3, 2026. Information being provided is for consumers' personal, non-commercial use and may not be used for any purpose other than to identify prospective properties consumers may be interested in purchasing. Information deemed reliable but not guaranteed. Any offer of compensation is made only to Participants of MLS where the subject listing is filed and in accordance with such MLS's regulations or rules.