4626 E Louisiana Ave, Denver, CO 80246

Local realty services provided by:CENTURY 21 CapRock Real Estate
4626 E Louisiana Ave,Denver, CO 80246
$900,000
  • 0.55 Acres
  • Lots / Land
  • Active
Listed by: clint giblette
Office: exp realty, llc888-440-2724
MLS#:4828614
Source:IRES

Price summary

  • Price:$900,000

About this home

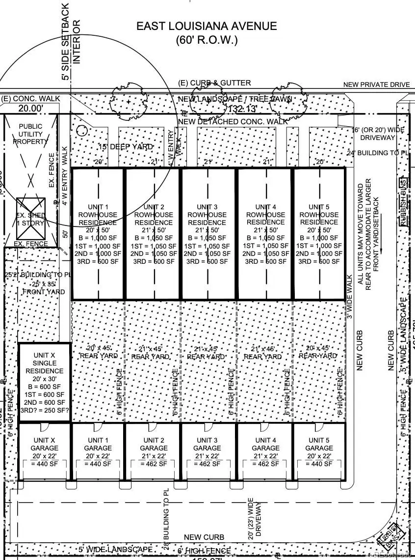
Rezoning Approved - Exceptional Development Opportunity in the Heart of Denver Builders and developers - don't miss this opportunity to secure a prime half-acre development site in Denver. The seller is highly motivated and looking for a quick closing, creating an opportunity to acquire this property at an exceptional value. Located within the City and County of Denver, this generously sized half-acre parcel offers excellent potential for residential infill. The property has already been rezoned to S-RH-2.5, allowing for expanded residential development in a high-demand urban location. We partnered with a reputable architectural firm and worked directly with the city to obtain preliminary approval for a site plan featuring six residential units, each designed with its own garage and private yard and possibility of additional ADU's. This groundwork significantly reduces development risk and shortens the timeline to construction. Property Highlights: Over 1/2 acre in the City and...

Contact an agent

contact an agent

Yes, I would like more information. Please use and/or share my information with an independent agent affiliated with the CENTURY 21®  brand to contact me about my real estate needs. By clicking Send message, I request to be contacted by phone or text message and consent to being contacted by automated means. I understand that my consent to receive calls or texts is not a condition of purchasing any property, goods, or services. Alternatively, I understand that I can access real estate services by email or I can contact the agent myself.

If an independent agent affiliated with the CENTURY 21®  brand is not available in the area where I need assistance, I agree to be contacted by a real estate agent affiliated with another brand owned or licensed by Anywhere Real Estate (BHGRE® , Coldwell Banker® , Corcoran® , ERA® , Sotheby's International Realty® ).
 I acknowledge that I have read and agree to theTerms of useandPrivacy notice

Home facts

  • Listing ID #:4828614
  • Added:363 day(s) ago
  • Updated:May 30, 2026 at 02:20 PM

Structure and exterior

  • Lot area:0.55 Acres
  • Lot Features:Level, Outbuildings

Utilities

  • Water:City
  • Sewer:Septic Tank

Finances and disclosures

  • Price:$900,000
  • Tax amount:$2,900
The real estate listing information and related content displayed on this site is provided exclusively for consumer's personal, non-commercial use and may not be used for any purpose other than to identify prospective properties consumers may be interested in purchasing. This information and related content is deemed reliable but is not guaranteed accurate by Information and Real Estate Services, LLC. Information source: Information and Real Estate Services, LLC. Provided for limited non-commercial use only under IRES Rules © Copyright IRES. The information being provided by Information and Real Estate Services is for the consumer's personal, non-commercial use and may not be used for any purpose other than to identify prospective properties consumer may be interested in purchasing. Any information relating to real estate for sale referenced on this web site comes from the Internet Data Exchange (IDX) program of the Information and Real Estate Services. This web site may reference real estate listing(s) held by a brokerage firm other than the broker and/or agent who owns this web site. The accuracy of all information, regardless of source, including but not limited to open house information, square footages and lot sizes, is deemed reliable but not guaranteed and should be personally verified through personal inspection by and/or with the appropriate professionals. The data contained herein is copyrighted by Information and Real Estate Services and is protected by all applicable copyright laws. Any unauthorized dissemination of this information is in violation of copyright laws and is strictly prohibited.