2381 Redhill Road, Fairplay, CO 80440
Local realty services provided by:CENTURY 21 Top Dog Properties
2381 Redhill Road,Fairplay, CO 80440
$67,400
- 2 Acres
- Lots / Land
- Active
Listed by: kevin copeland
Office: jefferson real estate, inc.
MLS#:S1064306
Source:CO_SAR
Price summary
- Price:$67,400
- Monthly HOA dues:$85.42
About this home
Discover your perfect mountain getaway on this fantastic 2-acre parcel, complete with power at the road and access to a central water system—a rare setup that lets you start building quickly. Tucked into the pines with views of Reinecker Ridge and the Trout Creek Valley, this property puts you right in the heart of the Park County lifestyle year-round.
Just minutes to Fairplay and Alma and only 39 miles to Breckenridge, you’re perfectly positioned for every season:
Winter brings easy access to Breck’s world-class skiing and riding.
Spring opens quiet trails and wildlife sightings.
Summer is for paddleboarding, hiking, and exploring the high-country lakes.
Fall lights up the entire valley with golden aspens and cool mountain air.
As a bonus, property owners enjoy exclusive private fishing on the South Platte River, giving you four seasons of adventure right out your door.
A truly unbeatable location with utilities close by, stunning surroundings, and year-round Colorado mountain living at its best.
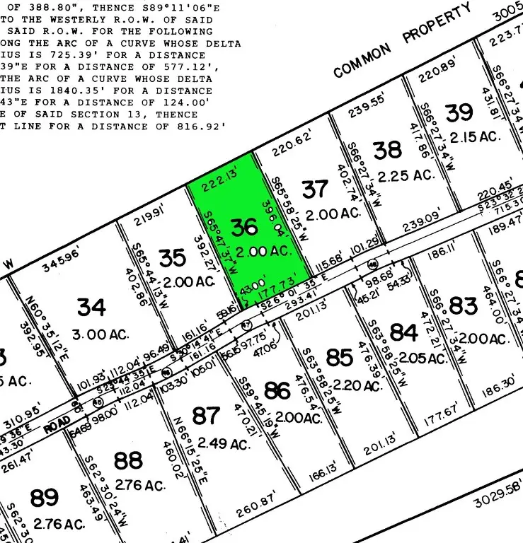
Trees, Yes; Power, Yes; Phone, Yes. REDHILL FOREST FILING 1 LOT 036...
Contact an agent
Home facts
- Listing ID #:S1064306
- Added:139 day(s) ago
- Updated:April 03, 2026 at 02:38 PM
Structure and exterior
- Lot area:2 Acres
Utilities
- Water:Well
- Sewer:Septic Needed
Finances and disclosures
- Price:$67,400
- Tax amount:$1,200 (2024)
Features and amenities
- Appliances:Satellite Dish
New listings near 2381 Redhill Road
- New
$667,000Active2 beds 2 baths1,152 sq. ft.5 Quakie Ct, Fairplay, CO 80440
MLS# 3639565Listed by: Caniglia Real Estate Group Llc - New
$725,000Active3 beds 2 baths1,844 sq. ft.375 Gold Trail, Fairplay, CO 80440
MLS# S1067964Listed by: CANIGLIA REAL ESTATE GROUP,LLC - New
$189,000Active1.25 Acres2515 High Creek Rd, Fairplay, CO 80440
MLS# 3718663Listed by: Jefferson Real Estate - New
$889,000Active4 beds 3 baths3,548 sq. ft.96 County Road 7, Fairplay, CO 80440
MLS# S1067623Listed by: EXP REALTY, LLC, MOUNTAIN HOUSE PROPERTIES - New
$550,000Active3 beds 2 baths1,512 sq. ft.318 Foxtail Lane, Fairplay, CO 80440
MLS# S1067563Listed by: EXP REALTY, LLC, MOUNTAIN HOUSE PROPERTIES - New
$67,000Active0.92 Acres176 Gold Trail Circle, Fairplay, CO 80440
MLS# 7445238Listed by: RE/MAX ALLIANCE - New
$747,000Active3 beds 4 baths2,266 sq. ft.1305 Lakeside Drive, Fairplay, CO 80440
MLS# S1067935Listed by: JEFFERSON REAL ESTATE, INC. - New
$475,000Active2 beds 2 baths1,812 sq. ft.532 Front Street, Fairplay, CO 80440
MLS# 7021514Listed by: EXP REALTY, LLC - New
$769,000Active3 beds 3 baths2,036 sq. ft.2020 Mullenville Road, Fairplay, CO 80440
MLS# S1067821Listed by: EXP REALTY, LLC, MOUNTAIN HOUSE PROPERTIES - New
$98,000Active1 Acres636 Bonell Drive, Fairplay, CO 80440
MLS# S1067917Listed by: CHRISTIE`S INTERNATIONAL REAL ESTATE CO LLC