0 Tipple Parkway, Frederick, CO 80530

Local realty services provided by:CENTURY 21 Trenka Real Estate
0 Tipple Parkway,Frederick, CO 80530
$9,249,400
  • 69.78 Acres
  • Lots / Land
  • Active
Listed by: tatum roper3037098330
Office: better blueprint realty
MLS#:IR1028173
Source:ML

Price summary

  • Price:$9,249,400

About this home

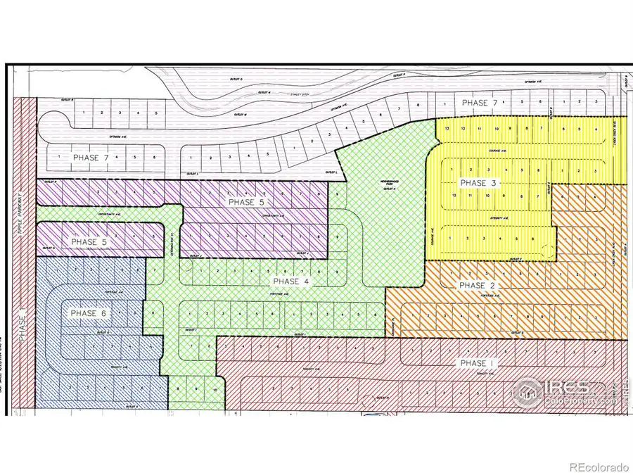
Amazing development opportunity. Fully entitled 206 lot single family development ready for infrastructure. This 206-lot subdivision in Frederick, CO is in the heart of the front range with access at your fingertips, while still enjoying the quiet life of a growing community. DIA, Denver, Boulder, Longmont and even Fort Collins are within a 20-35 min commute time. Carefully planned master community offers generous lot sizes with 80% of the properties backing to an out lot or walking trail. Walkable to downtown Frederick and schools. Access to trails. All needed amenities within a 10-20 min drive time. Water is not included in the price. 111 units total required for the project - down from 206 - huge costs savings on water! Large due diligence packet available, ask listing agent for access. Join all the national builders in the Tri-Town area and help this growing community continue to thrive.

Contact an agent

contact an agent

Yes, I would like more information. Please use and/or share my information with an independent agent affiliated with the CENTURY 21®  brand to contact me about my real estate needs. By clicking Send message, I request to be contacted by phone or text message and consent to being contacted by automated means. I understand that my consent to receive calls or texts is not a condition of purchasing any property, goods, or services. Alternatively, I understand that I can access real estate services by email or I can contact the agent myself.

If an independent agent affiliated with the CENTURY 21®  brand is not available in the area where I need assistance, I agree to be contacted by a real estate agent affiliated with another brand owned or licensed by Anywhere Real Estate (BHGRE® , Coldwell Banker® , Corcoran® , ERA® , Sotheby's International Realty® ).
 I acknowledge that I have read and agree to theTerms of useandPrivacy notice

Home facts

  • Listing ID #:IR1028173

Structure and exterior

  • Lot area:69.78 Acres

Schools

  • High school:Frederick
  • Middle school:Thunder Valley
  • Elementary school:Thunder Valley

Utilities

  • Water:Public
  • Sewer:Public Sewer

Finances and disclosures

  • Price:$9,249,400
  • Tax amount:$7,622 (2024)
MLS LogoBased on information submitted to the MLS GRID as of March 13, 2026 02:14 PM. All data is obtained from various sources and may not have been verified by broker or MLS GRID. Supplied Open House information is subject to change without notice. All information should be independently reviewed and verified for accuracy. Properties may or may not be listed by the office/agent presenting the information.