1000 Flag Creek Drive, Meeker, CO 81641
Local realty services provided by:CENTURY 21 Top Dog Properties
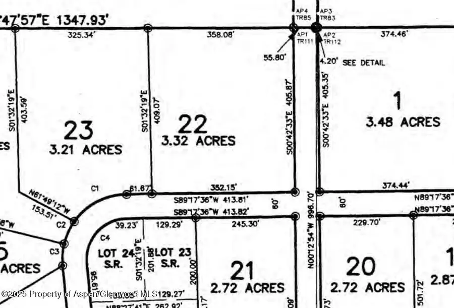
1000 Flag Creek Drive,Meeker, CO 81641
$119,000
- 3.32 Acres
- Lots / Land
- Active
Listed by: suzan pelloni
Office: streamline realty, llc.
MLS#:186832
Source:CO_AGSMLS
Price summary
- Price:$119,000
About this home
Live next to Meeker Golf Course on this beautiful 3.32-acre lot in Ridge Estates! This flat parcel offers the perfect canvas for your custom home—with water, road maintenance, and mail delivery already in place. Just one mile south of Meeker, you'll enjoy peaceful views, easy town access, and a school bus stop at the front of the lot. A rare combination of location, land, and lifestyle.
Contact an agent
Home facts
- Listing ID #:186832
- Added:318 day(s) ago
- Updated:November 25, 2025 at 06:38 PM
Structure and exterior
- Lot area:3.32 Acres
Utilities
- Water:Community
Finances and disclosures
- Price:$119,000
- Tax amount:$910 (2023)
New listings near 1000 Flag Creek Drive
$265,000Active3 beds 1 baths1,722 sq. ft.9 E Main Street, Meeker, CO 81641
MLS# 190916Listed by: STREAMLINE REALTY, LLC
$349,000Active4 beds 2 baths1,668 sq. ft.864 Hill Street, Meeker, CO 81641
MLS# 190876Listed by: REALTY ONE GROUP WESTERN SLOPE
$309,500Active2 beds 1 baths1,026 sq. ft.1234 Main Street, Meeker, CO 81641
MLS# 190763Listed by: REAL ESTATE WITH R & R
$337,500Active3 beds 2 baths1,776 sq. ft.1012 Wall Street, Meeker, CO 81641
MLS# 190724Listed by: STREAMLINE REALTY, LLC
$480,000Active3 beds 2 baths2,123 sq. ft.6322 County Road 7, Meeker, CO 81641
MLS# 190619Listed by: REAL ESTATE WEST
$379,900Active4 beds 2 baths2,340 sq. ft.1042 Park Avenue, Meeker, CO 81641
MLS# 190223Listed by: REAL ESTATE WEST
$55,000Active0.22 Acres1363 Robert Street, Meeker, CO 81641
MLS# 190172Listed by: ALPINE WEST PROPERTIES, LLC
$67,500Active0.24 Acres1129 Gail Circle, Meeker, CO 81641
MLS# 189992Listed by: ALPINE WEST PROPERTIES, LLC
$350,000Pending4 beds 3 baths2,081 sq. ft.683 Water Street, Meeker, CO 81641
MLS# 189810Listed by: REAL ESTATE WITH R & R
$1,700,000Pending0.41 AcresAddress Withheld By Seller, Meeker, CO 81641
MLS# 6311769Listed by: Live Water Properties