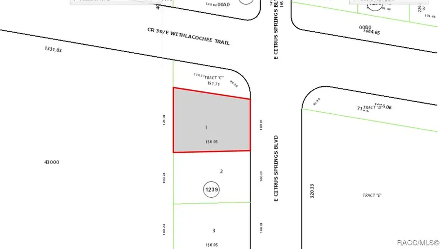
2177 E Citrus Springs Boulevard, Citrus Springs, FL 34434
Local realty services provided by:CENTURY 21 Affiliates
2177 E Citrus Springs Boulevard,Citrus Springs, FL 34434
$26,500
- 0.39 Acres
- Lots / Land
- Active
Listed by: kirk johnson
Office: citrus ridge realty
MLS#:848330
Source:FL_CMLS
Price summary
- Price:$26,500
About this home
Build your dream home on this .30 acre lot in beautiful Citrus Springs. This prime property is a fantastic opportunity for builders, developers or homeowners ready to create their perfect Florida retreat. Located in a desirable deed-restricted community without the HOA fees. It's just minutes from the library, shopping, community center, Rainbow River for tubing, boating and kayaking. Near to the Withlacoochee State Trail.. ideal for biking, hiking and enjoying the outdoors. Don't miss your chance to own a slice of paradise in this fast growing area.
Contact an agent
Home facts
- Listing ID #:848330
- Added:90 day(s) ago
- Updated:December 18, 2025 at 03:28 PM
Structure and exterior
- Lot area:0.39 Acres
Schools
- High school:Citrus High
- Middle school:Citrus Springs Middle
- Elementary school:Central Ridge Elementary
Utilities
- Water:Well Needed
- Sewer:Septic Needed
Finances and disclosures
- Price:$26,500
- Tax amount:$107 (2024)
New listings near 2177 E Citrus Springs Boulevard
- New
$17,000Active0.33 Acres9154 N Dory Point, Citrus Springs, FL 34433
MLS# 850775Listed by: CENTURY 21 J.W.MORTON R.E. - New
$349,000Active4 beds 3 baths2,818 sq. ft.2925 W Century Boulevard, Citrus Springs, FL 34433
MLS# 850648Listed by: CENTURY 21 J.W.MORTON R.E. - New
$354,900Active3 beds 2 baths1,614 sq. ft.10151 N Athenia Drive, Citrus Springs, FL 34434
MLS# 850653Listed by: KELLER WILLIAMS REALTY - ELITE PARTNERS II - New
$309,900Active4 beds 3 baths1,827 sq. ft.1718 W Manchester Drive, CITRUS SPRINGS, FL 34434
MLS# O6368411Listed by: AUTHENTIC REAL ESTATE TEAM - New
$298,900Active4 beds 3 baths1,771 sq. ft.7162 N Maltese Drive, CITRUS SPRINGS, FL 34433
MLS# O6368345Listed by: SELECTA REALTY LLC - New
$350,000Active3 beds 2 baths2,092 sq. ft.1021 W Champlain Lane, Citrus Springs, FL 34434
MLS# 850735Listed by: SUNCOAST TAMPA ASSOCIATION MEMBER - New
$224,900Active3 beds 2 baths1,264 sq. ft.2275 W Eric Drive, CITRUS SPRINGS, FL 34434
MLS# G5105685Listed by: LIST NOW REALTY, LLC - New
$224,900Active3 beds 2 baths1,264 sq. ft.2291 W Eric Drive, CITRUS SPRINGS, FL 34434
MLS# G5105689Listed by: LIST NOW REALTY, LLC - New
$309,900Active4 beds 3 baths1,865 sq. ft.9719 N Sandree Drive, CITRUS SPRINGS, FL 34434
MLS# O6368254Listed by: CHARLES RUTENBERG REALTY ORLANDO - New
$270,000Active3 beds 2 baths1,521 sq. ft.8792 N Sandree Drive, Citrus Springs, FL 34434
MLS# 850651Listed by: EXP REALTY LLC