- CENTURY 21 Real Estate
- Florida
- Jacksonville
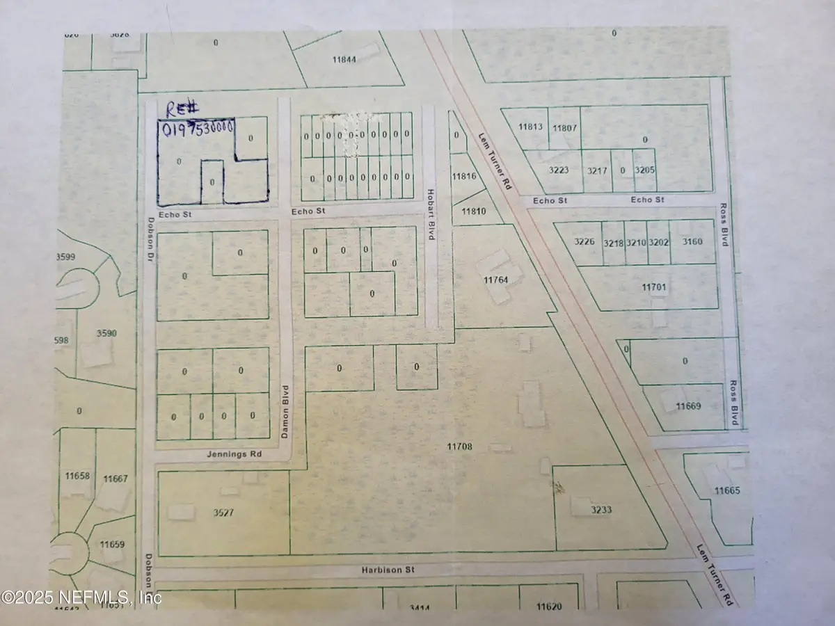
- 0 Echo Street
0 Echo Street, Jacksonville, FL 32218
Local realty services provided by:CENTURY 21 Miller Elite
0 Echo Street,Jacksonville, FL 32218
$78,500
- 0.86 Acres
- Lots / Land
- Active
Listed by: barbara cockrell
Office: one realty corp
MLS#:2081916
Source:JV
Price summary
- Price:$78,500
About this home
Owner financing offer! Builders: 10% down, 5% interest, 10 year term. Investors: 20% down, 10% interest for 10 year term. Bring offer. Great opportunity for residential development on this .86 acres with beautiful trees. Zoned RLD60. Land and legal use description is RES LD 3-7 Units per AC. Property could be subdivided and multiple houses built. Currently the property is on undeveloped land with no cleared road access, no electric, sewer or water access to the property. Desirable location offers great potential for development with nice homes all around and close to all conveniences, shops, stores, I-95 and I-295. Close to Jacksonville International Airport, Baptist Hospital and River River City Marketplace.
Contact an agent
Home facts
- Listing ID #:2081916
- Added:290 day(s) ago
- Updated:January 28, 2026 at 10:48 PM
Structure and exterior
- Lot area:0.86 Acres
Finances and disclosures
- Price:$78,500
- Tax amount:$492 (2024)
New listings near 0 Echo Street
- New
$249,000Active4 beds 2 baths1,664 sq. ft.12719 Palmetto Street, Jacksonville, FL 32218
MLS# 2127771Listed by: MILITARY REALTY INC - New
$239,900Active3 beds 1 baths1,008 sq. ft.2047 Market Street, Jacksonville, FL 32206
MLS# 2127774Listed by: MOMENTUM REALTY - New
$174,900Active2 beds 2 baths1,225 sq. ft.605 Clubhouse Court, Jacksonville, FL 32256
MLS# 2127777Listed by: MOMENTUM REALTY - New
$125,000Active5 beds 2 baths1,290 sq. ft.2553 Martha Street, Jacksonville, FL 32209
MLS# 2127778Listed by: DREAM BIG REALTY OF JAX LLC - New
$349,750Active2 beds 2 baths1,103 sq. ft.1231 Miramar Avenue, Jacksonville, FL 32207
MLS# 2127780Listed by: LIND REALTY & MANAGEMENT INC - New
$254,990Active3 beds 3 baths1,429 sq. ft.14459 Macadamia Lane, Jacksonville, FL 32218
MLS# 2127781Listed by: CENTURY COMMUNITIES OF FLORIDA - New
$254,990Active3 beds 3 baths1,429 sq. ft.14455 Macadamia Lane, Jacksonville, FL 32218
MLS# 2127782Listed by: CENTURY COMMUNITIES OF FLORIDA
$777,431Pending4 beds 3 baths2,513 sq. ft.5812 Canopy Row Street, Jacksonville, FL 32224
MLS# 2127725Listed by: WEEKLEY HOMES REALTY- New
$250,000Active4 beds 3 baths1,968 sq. ft.5055 San Juan Avenue, Jacksonville, FL 32210
MLS# 2127762Listed by: BERKSHIRE HATHAWAY HOMESERVICES FLORIDA NETWORK REALTY - Open Sat, 11:30am to 1:30pmNew
$249,000Active2 beds 1 baths1,008 sq. ft.3453 Pemberton Street, Jacksonville, FL 32224
MLS# 2127764Listed by: 1 PERCENT LISTS FIRST COAST