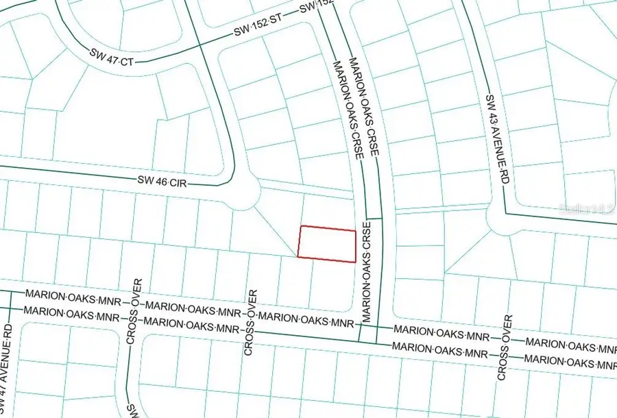
0 SW Mar Oaks Crs, Ocala, FL 34473

Local realty services provided by:CENTURY 21 Affiliates
0 SW Mar Oaks Crs,Ocala, FL 34473
$65,000
  • 0.26 Acres
  • Lots / Land
  • Active
Listed by: rhansel acevedo rodriguez
Office: exp realty llc.
MLS#:O6378616
Source:MFRMLS

Price summary

  • Price:$65,000

About this home

Build your dream home on this 0.26-acre vacant lot located in the established and growing Marion Oaks. The property is zoned R-1 for single-family residential use and offers water connection available, making it ideal for a custom build or future investment. Conveniently located close to shopping, schools, dining, parks, and major roads, this lot provides the perfect balance of accessibility and residential living. Secure your piece of Marion Oaks and start planning your new home today.

Contact an agent

contact an agent

Yes, I would like more information. Please use and/or share my information with an independent agent affiliated with the CENTURY 21®  brand to contact me about my real estate needs. By clicking Send message, I request to be contacted by phone or text message and consent to being contacted by automated means. I understand that my consent to receive calls or texts is not a condition of purchasing any property, goods, or services. Alternatively, I understand that I can access real estate services by email or I can contact the agent myself.

If an independent agent affiliated with the CENTURY 21®  brand is not available in the area where I need assistance, I agree to be contacted by a real estate agent affiliated with another brand owned or licensed by Anywhere Real Estate (BHGRE® , Coldwell Banker® , Corcoran® , ERA® , Sotheby's International Realty® ).
 I acknowledge that I have read and agree to theTerms of useandPrivacy notice

Home facts

  • Listing ID #:O6378616
  • Added:81 day(s) ago
  • Updated:April 25, 2026 at 11:59 AM

Structure and exterior

  • Lot area:0.26 Acres
  • Lot Features:Paved, Wooded
  • Levels:1 Story

Utilities

  • Water:Public, Water Available
  • Sewer:Septic Tank

Finances and disclosures

  • Price:$65,000
  • Tax amount:$286 (2024)

Features and amenities

  • Pool features:Public Pool
MLS LogoThe information being provided by Stellar Mls is for the consumer's personal, non-commercial use and may not be used for any purpose other than to identify prospective properties consumer may be interested in purchasing. Any information relating to real estate for sale referenced on this web site comes from the Internet Data Exchange (IDX) program of the Stellar Mls. CENTURY 21 Affiliates is not a Multiple Listing Service (MLS), nor does it offer MLS access. This website is a service of CENTURY 21 Affiliates, a broker participant of Stellar Mls. This web site may reference real estate listing(s) held by a brokerage firm other than the broker and/or agent who owns this web site. The accuracy of all information, regardless of source, including but not limited to open house information, square footages and lot sizes, is deemed reliable but not guaranteed and should be personally verified through personal inspection by and/or with the appropriate professionals. The data contained herein is copyrighted by Stellar Mls and is protected by all applicable copyright laws. Any unauthorized dissemination of this information is in violation of copyright laws and is strictly prohibited. Properties in listings may have been sold or may no longer be available. Copyright 2026 Stellar Mls. All rights reserved.