1820 N 60th Avenue, Pensacola, FL 32506

Local realty services provided by:CENTURY 21 AllPoints Realty
1820 N 60th Avenue,Pensacola, FL 32506
$60,000
  • - Acres
  • Lots / Land
  • Sold
Listed by: tina n marsh
Office: keller williams realty fwb
MLS#:992405
Source:FL_ECAR

Sorry, we are unable to map this address


Price summary

  • Price:$60,000

About this home

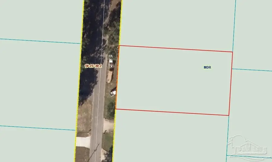
.4957 interior lot zoned MDR. Water and sanitation provided by ECUA. SEPTIC needed. ACCORDING to GIS map, Not in a flood Zone (X) and no wetlands on the property. No studies/ survey have been done. This lot is also a lot of record which would ''potentially'' allow for a first split lot of record. This will need to be confirmed/ discussed w/ planning and zoning. MDR zoning allows Single-family dwellings (other than manufactured homes), detached and only one per lot, excluding accessory dwellings. Accessory dwellings only on lots one acre or larger. Attached single-family dwellings and zero lot line subdivisions only on land zoned R-3 or V-4 prior to adoption of MDR zoning. Fifty feet at the street right-of-way for single-family detached dwellings. Setback F&R: 20' S: On each side of all other structures, five feet or ten percent of the lot width at the street right-of-way, whichever is greater, but not required to exceed 15 feet. With Osceola Golf course a short distance on Tonawanda

Contact an agent

contact an agent

Yes, I would like more information. Please use and/or share my information with an independent agent affiliated with the CENTURY 21®  brand to contact me about my real estate needs. By clicking Send message, I request to be contacted by phone or text message and consent to being contacted by automated means. I understand that my consent to receive calls or texts is not a condition of purchasing any property, goods, or services. Alternatively, I understand that I can access real estate services by email or I can contact the agent myself.

If an independent agent affiliated with the CENTURY 21®  brand is not available in the area where I need assistance, I agree to be contacted by a real estate agent affiliated with another brand owned or licensed by Anywhere Real Estate (BHGRE® , Coldwell Banker® , Corcoran® , ERA® , Sotheby's International Realty® ).
 I acknowledge that I have read and agree to theTerms of useandPrivacy notice

Home facts

  • Listing ID #:992405
  • Added:49 day(s) ago
  • Updated:February 27, 2026 at 11:11 AM

Structure and exterior

  • Lot Features:Build To Suit, Interior

Schools

  • High school:Escambia
  • Middle school:Bellview
  • Elementary school:Sherwood

Utilities

  • Water:Public Water

Finances and disclosures

  • Price:$60,000
The information being provided by Emerald Coast Association Of REALTORS® is for the consumer's personal, non-commercial use and may not be used for any purpose other than to identify prospective properties consumer may be interested in purchasing. Any information relating to real estate for sale referenced on this web site comes from the Internet Data Exchange (IDX) program of the Emerald Coast Association Of REALTORS®. CENTURY 21 AllPoints Realty is not a Multiple Listing Service (MLS), nor does it offer MLS access. This website is a service of CENTURY 21 AllPoints Realty, a broker participant of Emerald Coast Association Of REALTORS®. This web site may reference real estate listing(s) held by a brokerage firm other than the broker and/or agent who owns this web site. The accuracy of all information, regardless of source, including but not limited to open house information, square footages and lot sizes, is deemed reliable but not guaranteed and should be personally verified through personal inspection by and/or with the appropriate professionals. The data contained herein is copyrighted by Emerald Coast Association Of REALTORS® and is protected by all applicable copyright laws. Any unauthorized dissemination of this information is in violation of copyright laws and is strictly prohibited. Properties in listings may have been sold or may no longer be available. Copyright 2026 Emerald Coast Association Of REALTORS®. All rights reserved.