00 Unassigned Location, Pomona Park, FL 32181
Local realty services provided by:CENTURY 21 Lighthouse Realty
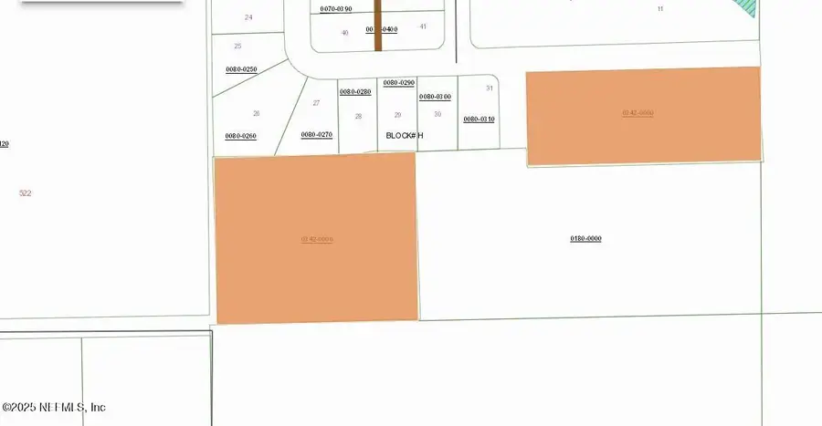
00 Unassigned Location,Pomona Park, FL 32181
$120,000
- 8.14 Acres
- Lots / Land
- Active
Listed by:
- Vicki Adams(386) 717 - 6388CENTURY 21 Triton Realty
- CENTURY 21 Triton Realty
MLS#:2112483
Source:JV
Price summary
- Price:$120,000
About this home
PRICE INPROVEMENT! 8.14± acres of high and dry land ready for you to fall in love with! This unique property features two separate lots, just off of County Road 308B nestled between Pomona Park and Welaka. These lots offer flexibility and endless possibilities. Create your private retreat, build your dream home, or use one parcel for your residence and the other for your farm or hobby space. Peaceful, spacious, and full of potential—come explore the possibilities!
Contact an agent
Home facts
- Listing ID #:2112483
- Added:111 day(s) ago
- Updated:January 27, 2026 at 07:50 PM
Structure and exterior
- Lot area:8.14 Acres
Utilities
- Water:Water Not Available
Finances and disclosures
- Price:$120,000
- Tax amount:$1,560 (2024)
New listings near 00 Unassigned Location
- New
$214,900Active3 beds 2 baths1,680 sq. ft.108 Sand Lake Drive, Pomona Park, FL 32181
MLS# 2127117Listed by: COLDWELL BANKER BEN BATES INC - New
$175,000Active2 beds 2 baths910 sq. ft.123 Miller Road, POMONA PARK, FL 32181
MLS# FC315534Listed by: CHAD AND SANDY REAL ESTATE GRP - New
$378,500Active2 beds 2 baths1,864 sq. ft.242 Taylor Fury Road, Pomona Park, FL 32181
MLS# 2126774Listed by: CENTURY 21 TRITON REALTY - New
$170,000Active3 beds 2 baths1,152 sq. ft.1694 S Highway 17, Pomona Park, FL 32181
MLS# 2126719Listed by: FLORIDA HOMES REALTY & MTG LLC - New
$199,000Active2 beds 1 baths948 sq. ft.210 Pine Avenue, Pomona Park, FL 32181
MLS# 2126725Listed by: WATSON REALTY CORP - New
$130,000Active1 beds 1 baths668 sq. ft.109 Kerns Street, Pomona Park, FL 32181
MLS# 2126674Listed by: CENTURY 21 TRITON REALTY - New
$675,000Active5 beds -- baths2,844 sq. ft.135 Lake Como Drive, Pomona Park, FL 32181
MLS# 2126431Listed by: WATSON REALTY CORP - New
$319,900Active3 beds 2 baths1,296 sq. ft.130 Sisco Road, Pomona Park, FL 32181
MLS# 2126158Listed by: TIMBER TO TIDES REALTY LLC - New
$229,900Active3 beds 2 baths1,440 sq. ft.124 Idlewood Acres Road, Pomona Park, FL 32181
MLS# 2126170Listed by: COLDWELL BANKER BEN BATES INC
$299,900Active2 beds 3 baths960 sq. ft.249 Oleander Street, Pomona Park, FL 32181
MLS# 2125046Listed by: CENTURY 21 TRITON REALTY