49 Iron Mountain Road Nw, Adairsville, GA 30103
Local realty services provided by:CENTURY 21 Results
49 Iron Mountain Road Nw,Adairsville, GA 30103
$675,000
- 18.32 Acres
- Lots / Land
- Active
Listed by: amanda abernathy, poopak bagheri
Office: realty of america, llc.
MLS#:7621453
Source:FIRSTMLS
Price summary
- Price:$675,000
About this home
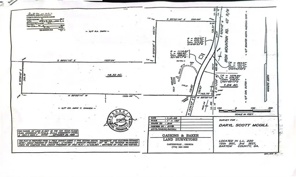
Discover an exceptional opportunity at 49 Iron Mountain Rd, Adairsville, GA, a highly desirable parcel zoned R-1, perfect for residential development. This stunning 18.32-acre property offers ample opportunity without heavy woodland. Builders will love the potential this property offers for creating beautiful new homes in a fast-growing area. With a fence post already in place, it’s primed for your next venture, be it a small neighborhood development or a family homestead. Conveniently located near a main road, it provides easy access to local amenities, schools, and downtown Adairsville while maintaining a peaceful setting ideal for a new neighborhood.
We’ve included the plans that the previous developer created, which were never executed, but can give you a great idea of how the project can be designed and developed. For more details on utilities, zoning, and related information, please refer to the private remarks and contact the City of Adairsville directly using the numbers provided. The seller is very motivated to sell. Please call or email with any questions.
Contact an agent
Home facts
- Listing ID #:7621453
- Updated:December 09, 2025 at 02:24 PM
Structure and exterior
- Lot area:18.32 Acres
Schools
- High school:Adairsville
- Middle school:Adairsville
- Elementary school:Adairsville
Utilities
- Water:Water Available
Finances and disclosures
- Price:$675,000
- Tax amount:$2,080 (2024)
New listings near 49 Iron Mountain Road Nw
- New
$350,000Active4 beds 2 baths1,858 sq. ft.14 Birch Place, Adairsville, GA 30103
MLS# 7691130Listed by: ATLANTA COMMUNITIES REAL ESTATE BROKERAGE - New
$350,000Active4 beds 2 baths1,858 sq. ft.14 Birch Place, Adairsville, GA 30103
MLS# 10656500Listed by: Atlanta Communities - New
$140,000Active1 beds 1 baths925 sq. ft.3165 SW Mcdaniel Station Road, Adairsville, GA 30103
MLS# 7690656Listed by: RE/MAX SELECT REALTY - New
$630,000Active2 beds 3 baths2,320 sq. ft.315 Woody Road Nw, Adairsville, GA 30103
MLS# 7688998Listed by: KELLER WILLIAMS REALTY NORTHWEST, LLC. - New
$95,000Active2 beds 1 baths818 sq. ft.130 N Cass Street, Adairsville, GA 30103
MLS# 7689863Listed by: COLDWELL BANKER KINARD REALTY - New
$274,900Active3 beds 3 baths1,960 sq. ft.12 Georgian Circle, Adairsville, GA 30103
MLS# 7688264Listed by: COLDWELL BANKER KINARD REALTY
$750,000Active6 beds 3 baths5,012 sq. ft.6214 Ga-140, Adairsville, GA 30103
MLS# 7686443Listed by: ATLANTA COMMUNITIES
$264,000Active3 beds 2 baths1,299 sq. ft.509 Fieldwood Drive Nw, Adairsville, GA 30103
MLS# 10649407Listed by: Lawrence Realty Grp. GA
$195,000Active2 beds 3 baths1,188 sq. ft.112 Madison Place, Adairsville, GA 30103
MLS# 7685172Listed by: ATLANTA COMMUNITIES REAL ESTATE BROKERAGE
$229,900Active3 beds 3 baths1,512 sq. ft.143 Princeton Avenue, Adairsville, GA 30103
MLS# 7685005Listed by: SELLING THE SOUTH, GEORGIA