3316a Limber Twig Lane, Augusta, GA 30906
Local realty services provided by:CENTURY 21 Jeff Keller Realty
3316a Limber Twig Lane,Augusta, GA 30906
$195,000
- 3.95 Acres
- Lots / Land
- Active
Listed by: daniel demers
Office: sell your home services
MLS#:545852
Source:GA_GAAR
Price summary
- Price:$195,000
About this home
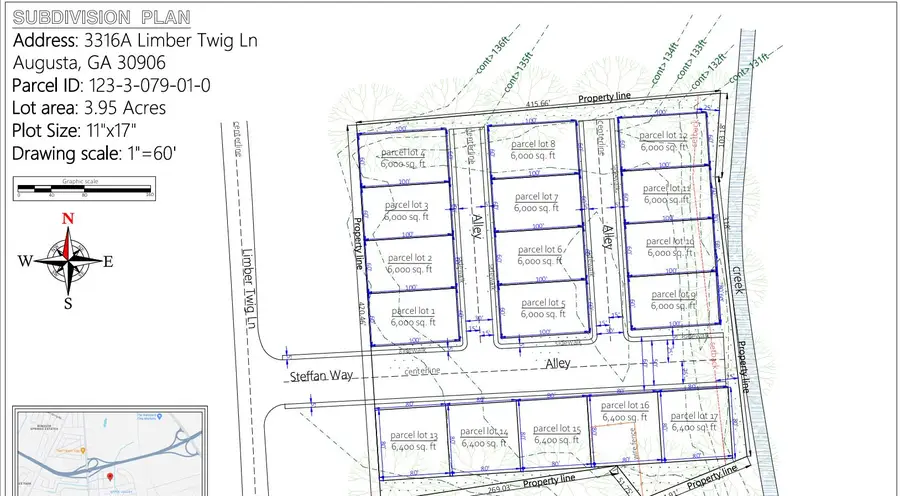
This 3.95-acre parcel located at 3316A Limber Twig Ln. presents a unique investment opportunity with flexible zoning, level lot, paved access, No flood zone per Richmond county GIS map, utilities available, public sewer, No HOA. Allowing for both residential and limited commercial use. Perfect opportunity for an investor/developer. This lot is about a 10 minute drive to National Golf Club and the Medical District as well as Downtown Augusta and 5 minute drive to Augusta Regional Airport. Per seller, proposed 17-lot subdivision site plan, included with this listing, has already been reviewed and deemed compliant.
Price reduced for quick sale.
Contact an agent
Home facts
- Listing ID #:545852
- Added:122 day(s) ago
- Updated:November 29, 2025 at 03:47 PM
Structure and exterior
- Lot area:3.95 Acres
Finances and disclosures
- Price:$195,000
New listings near 3316a Limber Twig Lane
- New
$3,550,000Active4 beds 6 baths9,192 sq. ft.14 Highgate W, Augusta, GA 30909
MLS# 10659497Listed by: Meybohm LLC - New
$449,900Active4 beds 3 baths2,743 sq. ft.417 Ashland Drive, Augusta, GA 30909
MLS# 550223Listed by: MEYBOHM REAL ESTATE - WHEELER - New
$189,999Active5 beds 2 baths1,448 sq. ft.2411 Ruby Drive, Augusta, GA 30906
MLS# 550224Listed by: TROWBRIDGE REALTY - New
$250,000Active6 Acres1049 Horseshoe Road, Augusta, GA 30906
MLS# 550219Listed by: EXP REALTY, LLC - New
$175,000Active3 beds 2 baths1,170 sq. ft.1761 Old Savannah Road, Augusta, GA 30901
MLS# 550218Listed by: TONYA JONES REAL ESTATE, LLC - New
$314,900Active4 beds 3 baths2,470 sq. ft.7069 Summerton Drive, Augusta, GA 30909
MLS# 550212Listed by: MEYBOHM REAL ESTATE - EVANS - New
$78,000Active2 beds 1 baths696 sq. ft.1941 Moore Road, Augusta, GA 30906
MLS# 10659040Listed by: Joseph Walter Realty, LLC - New
$335,000Active4 beds 3 baths2,624 sq. ft.321 Conal Drive, Augusta, GA 30909
MLS# 550196Listed by: BLANCHARD & CALHOUN - SN - New
$325,000Active4 beds 2 baths1,768 sq. ft.993 Hay Meadow Drive, Augusta, GA 30909
MLS# 550203Listed by: BETTER HOMES & GARDENS EXECUTIVE PARTNERS - New
$285,000Active3 beds 4 baths2,680 sq. ft.3203 West Court, Augusta, GA 30907
MLS# 550188Listed by: RE/MAX TRUE ADVANTAGE