2671 Harbins Road Se, Bethlehem, GA 30620
Local realty services provided by:CENTURY 21 Adams-Harvey & Associates
2671 Harbins Road Se,Bethlehem, GA 30620
$1,400,000
- 19.5 Acres
- Lots / Land
- Active
Listed by: meridith simes, lindsey hardy
Office: hill wood realty
MLS#:10676322
Source:METROMLS
Price summary
- Price:$1,400,000
About this home
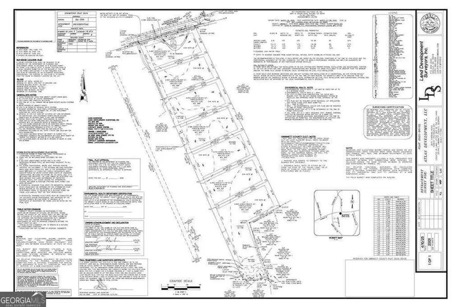
Outstanding Builder & Developer Opportunity in Gwinnett County! Situated along scenic Harbins Road, this 19.5-acre property offers seven expansive, fully platted estate lots ranging from 2.387 to 4.568 acres. The land features beautiful, gently sloping topography-perfect for custom homes. Located just minutes from Hwy 316 in a rapidly growing area, this site is surrounded by luxury homes priced between $1.4M and $1.8M on nearby Indian Shoals Road. A new middle school is coming soon, adding even more value to this in-demand corridor. Buyer will be responsible for installing the shared driveway, connecting utilities (water, electricity, septic), and removing the existing house currently on the property. A rare chance to build in one of the most sought-after growth areas in Gwinnett County!
Contact an agent
Home facts
- Listing ID #:10676322
- Updated:February 18, 2026 at 11:42 AM
Structure and exterior
- Lot area:19.5 Acres
Schools
- High school:Archer
- Middle school:Mcconnell
- Elementary school:Harbins
Utilities
- Water:Public
- Sewer:Public Sewer
Finances and disclosures
- Price:$1,400,000
- Tax amount:$2,182 (2024)
New listings near 2671 Harbins Road Se
$399,900Active3 beds 3 baths463 Tanners Bridge Circle #2, Bethlehem, GA 30620
MLS# 10679878Listed by: Progressive Realty LLC- New
$399,900Active4 beds 3 baths226 Silverleaf Trail, Bethlehem, GA 30620
MLS# 10692383Listed by: Ashton Woods Realty - New
$449,990Active4 beds 4 baths2,820 sq. ft.3283 Lowell Road, Bethlehem, GA 30620
MLS# 10692467Listed by: Holliday Realtors - Coming Soon
$425,000Coming Soon4 beds 3 baths29 Arbor Way, Bethlehem, GA 30620
MLS# 10691938Listed by: eXp Realty - New
$98,000Active2.01 Acres0 J B Owens, Lot 2, 2.09ac Road, Bethlehem, GA 30620
MLS# 7719460Listed by: AXEN REALTY, LLC - New
$527,900Active5 beds 3 baths2379 Tomoka Drive, Bethlehem, GA 30620
MLS# 10690941Listed by: La Rosa Realty Georgia LLC - New
$220,000Active11.04 Acres0 J B Owens Road, Bethlehem, GA 30620
MLS# CL348952Listed by: KELLER WILLIAMS GREATER ATHENS - New
$324,900Active3 beds 3 baths1,765 sq. ft.236 Vision Street, Bethlehem, GA 30620
MLS# 7718157Listed by: KELLER WILLIAMS REALTY WEST ATLANTA
$429,500Active4 beds 3 baths3,096 sq. ft.3243 Lowell Road, Bethlehem, GA 30620
MLS# 10687174Listed by: HomeSmart
$397,900Active3 beds 2 baths1,698 sq. ft.1071 Covenant Court, Bethlehem, GA 30620
MLS# 7710898Listed by: EXP REALTY, LLC.