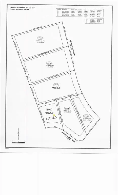
LOT 123 Mountain View Road, Dawsonville, GA 30534
Local realty services provided by:CENTURY 21 Realty 1 Professionals
LOT 123 Mountain View Road,Dawsonville, GA 30534
$40,000
- 0.72 Acres
- Lots / Land
- Active
Listed by: john cook
Office: keller williams community ptnr
MLS#:10644315
Source:METROMLS
Price summary
- Price:$40,000
About this home
NOW AVAILABLE - Discover this lovely corner lot that provides a quiet, natural retreat away from city life. Whether you've been dreaming of a weekend getaway or a full-time home, this property is an ideal setting. The surrounding landscape features beautiful mixed woods, offering rich greenery, diverse wildlife, and an unmistakable sense of tranquility. A completed soil test confirms the land is strong and well-suited for construction. Plus, a brand-new shared well serving six lots is already in place, giving you dependable access to clean water. The property is zoned RSRMM, allowing for multiple residential options including modular or traditional stick-built homes. With no landfills anywhere nearby, you can enjoy a clean, safe environment for years to come. And when you're ready for adventure, you're only a short drive from some of North Georgia's best attractions-Amicalola Falls, Lake Lanier, the charming historic town of Dahlonega, and more. This is a rare opportunity to secure your own peaceful escape-an inviting slice of nature where you can unwind and enjoy everything the outdoors has to offer. Don't miss your chance to claim this hidden gem! Lot #124 is also for sale as a separate lot. FMLS# 7681320
Contact an agent
Home facts
- Listing ID #:10644315
- Updated:January 29, 2026 at 11:38 AM
Structure and exterior
- Lot area:0.72 Acres
Schools
- High school:Dawson County
- Middle school:Dawson County
- Elementary school:Riverview
Utilities
- Water:Shared Well, Water Available
Finances and disclosures
- Price:$40,000
- Tax amount:$590 (2022)
New listings near LOT 123 Mountain View Road
- New
$445,000Active3 beds 2 baths1,824 sq. ft.167 Nugget Ridge Road, Dawsonville, GA 30534
MLS# 7710974Listed by: MCGINNIS PROPERTY GROUP - Coming Soon
$599,900Coming Soon5 beds 4 baths42 Finley Creek Drive, Dawsonville, GA 30534
MLS# 10680779Listed by: Atlanta Communities - New
$700,000Active3 beds 2 baths1,588 sq. ft.681 Chestatee Point, Dawsonville, GA 30534
MLS# 10680780Listed by: Keller Williams Community Ptnr - New
$515,000Active3 beds 3 baths2,740 sq. ft.7410 Barclay Court, Dawsonville, GA 30534
MLS# 10680714Listed by: Keller Williams Community Ptnr - New
$689,900Active5 beds 4 baths3,660 sq. ft.272 Indian Cove Drive, Dawsonville, GA 30534
MLS# 7710796Listed by: MAXIMUM ONE PREMIER REALTORS - New
$989,000Active4 beds 5 baths4,126 sq. ft.7410 Crestline Drive, Dawsonville, GA 30534
MLS# 10680310Listed by: Keller Williams Rlty First Atl - New
$409,990Active3 beds 3 baths2,187 sq. ft.58 Gold Dust Drive #13A, Dawsonville, GA 30534
MLS# 7710232Listed by: HMS REAL ESTATE LLC - Coming Soon
$360,000Coming Soon4 beds 3 baths160 Riley Circle, Dawsonville, GA 30534
MLS# 10679365Listed by: Re/Max Tru, Inc. - New
$875,000Active4 beds 4 baths3,544 sq. ft.6360 Nix Road, Dawsonville, GA 30534
MLS# 10679277Listed by: Keller Williams Rlty Atl. Part - New
$325,000Active3 beds 1 baths1,120 sq. ft.290 Silver Fox Drive, Dawsonville, GA 30534
MLS# 7705195Listed by: HOMESMART