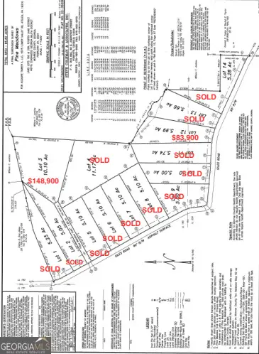
LOT 3 Giles Road, Forsyth, GA 31029
Local realty services provided by:CENTURY 21 Novus
LOT 3 Giles Road,Forsyth, GA 31029
$146,900
- 10.1 Acres
- Lots / Land
- Active
Listed by: melissa stephens
Office: bhgre metro brokers
MLS#:10541081
Source:METROMLS
Price summary
- Price:$146,900
About this home
Looking for a little land in Forsyth? Here's some! Check out Lot 3 - a 10.10 +/- Acre Lot Ready for Your Future Home in Beautiful Forsyth, GA (Monroe County)! Welcome to Pine Meadows - a small development acreage lots in Forsyth where you're next dreams can unfold. Served by a private gravel drive, this estate lot is begging to be your future homesite. Recent survey and level one soil analysis available - soils tested suitable for a conventional septic system. The homesite area has some trees, but is not dense in woods, so clearing the homesite will be a breeze. The neighboring lot(s) are also for sale. Purchase multiple lots for a larger acreage parcel or bring a friend or family member and live side by side, if desired. High speed internet is available! Giles road is a very quiet and paved rural road with little traffic. I-75 is just 15 minutes away - making this the ideal location for those seeking the peace and quiet of a rural feel, yet the convenience of the interstate nearby. Visit the quaint downtown Forsyth square, where there are many great local small businesses, coffee shop, and restaurants and many local community events are held. Gas, grocery, shopping and dining are all less than 15 minutes away as well. Sought after Monroe County school system. Visit nearby Lake Juliette (approx 20-30 min away) for recreation and fishing in your spare time. Land financing is available through AG South with as little as 15% down or call your local bank. Will require well and septic. No modular/mobile homes - stick built only. Please see restrictive covenants.
Contact an agent
Home facts
- Listing ID #:10541081
- Updated:January 28, 2026 at 11:48 AM
Structure and exterior
- Lot area:10.1 Acres
Schools
- High school:Mary Persons
- Middle school:Monroe County
- Elementary school:KB Sutton
Finances and disclosures
- Price:$146,900
- Tax amount:$1 (2025)
New listings near LOT 3 Giles Road
- New
$179,900Active4 beds 2 baths1,782 sq. ft.680 Natures Trail, Forsyth, GA 31029
MLS# 10679785Listed by: ERA CONNIE R. HAM MIDDLE GA - New
$139,900Active7.72 Acres7.725 AC Slalom Pass, Forsyth, GA 31029
MLS# 10679812Listed by: Bowers & Burns Real Estate Co. - New
$349,000Active5 beds 3 baths2,300 sq. ft.170 Aaron Ct, Forsyth, GA 31029
MLS# 10679256Listed by: The Legacy Real Estate Group - New
$579,900Active5 beds 4 baths2,859 sq. ft.LOT 6 Hopewell Road, Forsyth, GA 31029
MLS# 10677622Listed by: Fathom Realty GA, LLC - New
$89,500Active2 beds 1 baths916 sq. ft.1476 S Highway 42, Forsyth, GA 31029
MLS# 10677661Listed by: Keller Williams Greater Athens - New
$360,000Active3 beds 3 baths2,094 sq. ft.119 Bagley Road, Forsyth, GA 31029
MLS# 10677381Listed by: The Legacy Real Estate Group - New
$350,000Active4 beds 3 baths2,516 sq. ft.271 Presidents Way, Forsyth, GA 31029
MLS# 10676992Listed by: Canopy Realty Group - New
$190,000Active2.47 Acres303 Freedom Drive, Forsyth, GA 31029
MLS# 10676810Listed by: ERA CONNIE R. HAM MIDDLE GA - New
$135,000Active4 beds 2 baths1,782 sq. ft.3269 Old Macon Road, Forsyth, GA 31029
MLS# 10676747Listed by: ERA CONNIE R. HAM MIDDLE GA
$89,900Pending2 beds 1 baths1,186 sq. ft.182 James Street, Forsyth, GA 31029
MLS# 260418Listed by: GEORGIA'S HOME TEAM REALTY