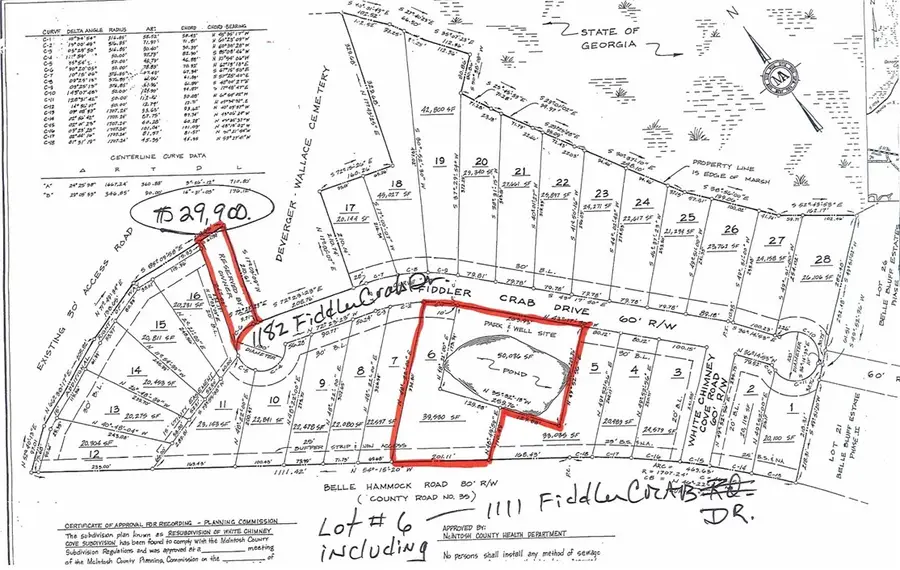
1182 Fiddler Crab Drive Ne, Townsend, GA 31331
Local realty services provided by:CENTURY 21 American Heritage
Listed by: mallory fitzer
Office: shellman bluff realty llc.
MLS#:1657025
Source:GA_GIAR
Price summary
- Price:$29,900
About this home
Come see what makes White Chimney Cove such a sweet hidden gem! Lovely marsh views create an ideal setting for everyday life! The quiet dead-end road is private & peaceful, located just minutes from Shellman Bluff, Sapelo Hammock Golf Club, two full-service marinas & local campgrounds - so you will never run out of things to do! No restrictions (other than no mobile homes) - This 0.3 acre lot is for sale by the original developer, along with two other parcels on the other side of the street (see plat in pics) - adorable homesite for your future home on the coast! Loads of potential! Wonderful investment opportunity to own a piece of the Georgia Coast! Come see for yourself what makes it so special!
Contact an agent
Home facts
- Listing ID #:1657025
- Added:109 day(s) ago
- Updated:January 16, 2026 at 04:48 PM
Structure and exterior
- Lot area:0.3 Acres
Utilities
- Water:Community Coop
- Sewer:Septic Tank
Finances and disclosures
- Price:$29,900
New listings near 1182 Fiddler Crab Drive Ne
- New
$519,000Active3 beds 3 baths2,176 sq. ft.1140 NE Winterberry Drive Ne, Townsend, GA 31331
MLS# 1659081Listed by: NEXT MOVE REAL ESTATE LLC
$149,000Active7 AcresANOTHER PRICE REDUCTION Smith Road Se, Townsend, GA 31331
MLS# 1655852Listed by: H HARDY GROUP LLC
$1,024,000Active3 beds 3 baths2,427 sq. ft.$25,000 PRICE REDUCTION 1861 Delegal Drive Ne, Townsend, GA 31331
MLS# 1656049Listed by: H HARDY GROUP LLC
$549,000Active3 beds 3 baths2,182 sq. ft.PRICE REDUCED $20,000 1997 Coopers Point Drive Ne, Townsend, GA 31331
MLS# 1656544Listed by: H HARDY GROUP LLC- New
$128,000Active1.35 AcresLOT 230 Coopers Landind Drive Ne, Townsend, GA 31331
MLS# SA346976Listed by: PARKER SCOTT PROPERTIES - New
$434,000Active4 beds 3 baths2,055 sq. ft.2801 Georgia Hwy 251, Townsend, GA 31331
MLS# 1659042Listed by: CLICKIT REALTY - New
$269,000Active3 beds 2 baths1,463 sq. ft.1029 Fountain Street Ne, Townsend, GA 31331
MLS# 1658871Listed by: COASTAL PROPERTIES OF GEORGIA - DAR
$649,000Pending3 beds 3 baths2,712 sq. ft.2421 NE Julienton Drive, Townsend, GA 31331
MLS# 1658865Listed by: HARRIS REAL ESTATE COASTAL PROPERTIES- New
$214,900Active3 beds 2 baths1,555 sq. ft.1031 NE Moore Haven Circle Ne, Townsend, GA 31331
MLS# 1658910Listed by: CHELLE REALTY, LLC - New
$45,500Active0.59 Acresxx Sapelo Park Drive Ne, Townsend, GA 31331
MLS# 1658915Listed by: KELLER WILLIAMS GA COMMUNITIES