87-179 Hakimo Road, Waianae, HI 96792
Local realty services provided by:CENTURY 21 Homefinders of Hawaii
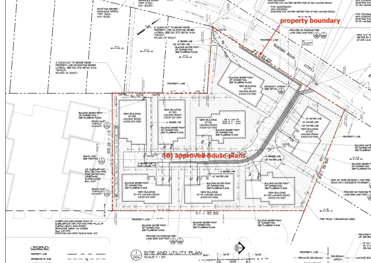
87-179 Hakimo Road,Waianae, HI 96792
$1,898,000
- 1.15 Acres
- Lots / Land
- Active
Listed by: jill zy lee(808) 739-2291
Office: loyal realty, llc.
MLS#:202515652
Source:HI_HBR
Price summary
- Price:$1,898,000
About this home
Huge price improvement! Land + (8) Approved house plans with permit fees already PAID and ready to build! This is a turn-key project! No need to wait 3 to 5 years for permitting. Eight (8) single-family dwellings already approved and permitted on this 50,001 sf fee simple property. The lot is currently being demo'd & cleared and ready for you to build (8) beautiful homes. Architectural plans and permitting information are available to share with qualified buyers. The eight approved DPP house permits are: #907345, #907351, #907354, #907356, #907671, #907673, #907678, and #907682. Each home is designed with 4bd/2ba, kitchen, dining, living room and a 2-car carport. The average living area per home is about 1,600 sf. All building permit fees paid for including sewer connection, water/fixture unit facilities, park dedication, building demolition, grading, house building plans. An incredible deal, under $240k per house lot.
Contact an agent
Home facts
- Listing ID #:202515652
- Added:247 day(s) ago
- Updated:February 10, 2026 at 12:56 PM
Structure and exterior
- Lot area:1.15 Acres
- Lot Features:Cleared, Interior Lot, Level
Utilities
- Water:Public
- Sewer:Connected
Finances and disclosures
- Price:$1,898,000
- Tax amount:$2,544
New listings near 87-179 Hakimo Road
- New
$1,749,000Active0.36 Acres84-939 Farrington Highway, Waianae, HI 96792
MLS# 202605388Listed by: LUVA REAL ESTATE - New
$289,000Active2 beds 1 baths815 sq. ft.84-757 Kiana Place #2/4B, Waianae, HI 96792
MLS# 202605203Listed by: REAL BROKER - New
$520,000Active1.01 Acres87-236 Kulaaupuni Street, Waianae, HI 96792
MLS# 202605456Listed by: LUXURY HOMES INTERNATIONAL - New
$899,000Active5 beds 4 baths2,408 sq. ft.85-075 Waianae Valley Road #B, Waianae, HI 96792
MLS# 202604610Listed by: COMPASS - New
$530,000Active3 beds 2 baths1,234 sq. ft.87-1980 Pakeke Street #94, Waianae, HI 96792
MLS# 202605381Listed by: KELLER WILLIAMS HONOLULU - Open Sun, 2 to 5pm
$335,000Active3 beds 1 baths993 sq. ft.84-707 Kiana Place #99B, Waianae, HI 96792
MLS# 202601663Listed by: AMERICAN DREAM REALTY LLC - New
$665,000Active3 beds 2 baths1,172 sq. ft.84-1132 Hana Street #D, Waianae, HI 96792
MLS# 202605206Listed by: FORTUNE PROPERTIES LLC - Open Sun, 2 to 5pmNew
$885,000Active3 beds 3 baths1,482 sq. ft.87-1720 Farrington Highway #8, Waianae, HI 96792
MLS# 202605316Listed by: COLDWELL BANKER REALTY - Open Sun, 2 to 5pmNew
$799,000Active3 beds 3 baths1,260 sq. ft.84-621 Kili Drive #61, Waianae, HI 96792
MLS# 202605347Listed by: COLDWELL BANKER REALTY - New
$850,000Active4 beds 3 baths1,479 sq. ft.87-1720 Farrington Highway #4, Waianae, HI 96792
MLS# 202604049Listed by: HB HOMES INC