Lot 35 Road 2, Epworth, IA 52045

Local realty services provided by:CENTURY 21 Signature Real Estate
Lot 35 Road 2,Epworth, IA 52045
$62,700
  • - Beds
  • - Baths
  • - sq. ft.
  • Farm
  • Active
Listed by: craig byers, jason rogers
Office: q4 real estate
MLS#:2406655
Source:IA_CRAAR

Price summary

  • Price:$62,700

About this home

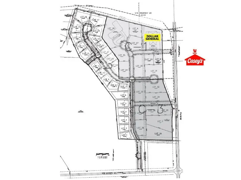
Prime development lots ranging from 0.299 to 9.455 acres in the vibrant Dubuque Metropolitan Area, specifically located in Epworth. These meticulously selected lots offer convenient access to Highway 20, Highway 151, and Dubuque, ensuring seamless transportation and enhanced visibility. Whether planning a dynamic residential community or a bustling commercial hub, this strategic location provides an ideal canvas for innovative projects. Notably, Dollar General has already secured Lot 28 within this new and upcoming development.

Contact an agent

contact an agent

Yes, I would like more information. Please use and/or share my information with an independent agent affiliated with the CENTURY 21®  brand to contact me about my real estate needs. By clicking Send message, I request to be contacted by phone or text message and consent to being contacted by automated means. I understand that my consent to receive calls or texts is not a condition of purchasing any property, goods, or services. Alternatively, I understand that I can access real estate services by email or I can contact the agent myself.

If an independent agent affiliated with the CENTURY 21®  brand is not available in the area where I need assistance, I agree to be contacted by a real estate agent affiliated with another brand owned or licensed by Anywhere Real Estate (BHGRE® , Coldwell Banker® , Corcoran® , ERA® , Sotheby's International Realty® ).
 I acknowledge that I have read and agree to theTerms of useandPrivacy notice

Home facts

  • Listing ID #:2406655
  • Added:466 day(s) ago
  • Updated:January 02, 2026 at 04:38 PM

Structure and exterior

  • Lot area:0.48 Acres

Schools

  • High school:Western Dubuque
  • Middle school:Drexler
  • Elementary school:Epworth

Utilities

  • Water:Public

Finances and disclosures

  • Price:$62,700
  • Tax amount:$58,371