18781 125th Street, Ottumwa, IA 52501
Local realty services provided by:CENTURY 21 Signature Real Estate
18781 125th Street,Ottumwa, IA 52501
$435,000
- 4 Beds
- 3 Baths
- 2,128 sq. ft.
- Mobile / Manufactured
- Pending
Listed by: benjamin harshyne
Office: whitetail properties real estate, llc.
MLS#:6333916
Source:IA_HIMLS
Price summary
- Price:$435,000
- Price per sq. ft.:$204.42
About this home
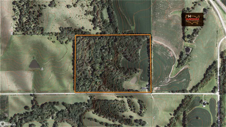
This Wapello County acreage checks every box for the buyer who wants a well-kept home, a top-tier shop, and an improved hunting property all in one package. The farm itself is a well-balanced mix of timber and tillable acres, anchored by a timber stand of multiple hardwood and bottomland species. A creek winds north to south through the property, creating a natural travel corridor that consistently funnels deer movement. The landowner has invested heavily in habitat work, including TSI, invasive species removal, and trail improvements, giving the farm a clean, healthy feel and excellent access throughout the timber. Pinch points and improved south-facing and bottom-ground bedding combine to offer a hunting setup that feels much larger than its size. Just off the east side of the timber are roughly five acres of established food plots planted in a productive mix of corn, beans, brassicas, and clover. A Banks blind overlooking one of the clover fields stays with the property and provides a comfortable hunting experience. The home is a well-maintained open-concept manufactured residence offering over 2,100 square feet, four bedrooms, and two bathrooms. Built in 2000 and recently updated with a newer roof, new septic system, upgraded landscaping, and a new 1,000-gallon propane tank, it’s move-in ready and has a warm, welcoming feel. Out back, a new 18-foot pool and deck offer the perfect spot to enjoy summer evenings....
Contact an agent
Home facts
- Year built:2000
- Listing ID #:6333916
- Added:117 day(s) ago
- Updated:March 19, 2026 at 07:37 AM
Rooms and interior
- Bedrooms:4
- Total bathrooms:3
- Full bathrooms:2
- Half bathrooms:1
- Basement:Yes
- Living area:2,128 sq. ft.
Heating and cooling
- Central air:Yes
Structure and exterior
- Year built:2000
- Building area:2,128 sq. ft.
- Lot area:40 Acres
Finances and disclosures
- Price:$435,000
- Price per sq. ft.:$204.42
- Tax amount:$1,534 (2024)
Parking
- Garage:Yes
- Garage spaces:1
New listings near 18781 125th Street
- New
$265,000Active4 beds 3 baths2,408 sq. ft.1841 Gladstone Street, Ottumwa, IA 52501
MLS# 6336458Listed by: RE/MAX PRIDE OTTUMWA - New
$250,000Active5 beds 2 baths2,622 sq. ft.1601 N Court Street, Ottumwa, IA 52501
MLS# 6336363Listed by: LEGACY REAL ESTATE GROUP - New
$120,000Active3 beds 2 baths2,086 sq. ft.255 N Davis, Ottumwa, IA 52501
MLS# 6336361Listed by: JULIAN CAMPBELL REALTORS
$140,000Pending3 beds 1 baths1,152 sq. ft.1915 Mowrey Avenue, Ottumwa, IA 52501
MLS# 6336350Listed by: BRIDGE CITY REALTY- New
$135,000Active3 beds 2 baths1,691 sq. ft.903 S Milner Street, Ottumwa, IA 52501
MLS# 6336336Listed by: RE/MAX PRIDE OTTUMWA - New
$140,000Active2 beds 2 baths904 sq. ft.741 Grace Street, Ottumwa, IA 52501
MLS# 6336330Listed by: RE/MAX PRIDE OSKALOOSA - New
$170,000Active3 beds 1 baths1,092 sq. ft.122 N Johnson Avenue, Ottumwa, IA 52501
MLS# 6336312Listed by: HOMETOWN REALTY
$79,500Pending2 beds 1 baths872 sq. ft.711 Elma Street, Ottumwa, IA 52501
MLS# 6336297Listed by: RE/MAX PRIDE OTTUMWA- New
$120,000Active2 beds 1 baths940 sq. ft.1513 W Finley Avenue, Ottumwa, IA 52501
MLS# 6336269Listed by: RE/MAX PRIDE OTTUMWA - New
$190,000Active4 beds 2 baths2,019 sq. ft.213 S Moore Street, Ottumwa, IA 52501
MLS# 6336271Listed by: BRIDGE CITY REALTY