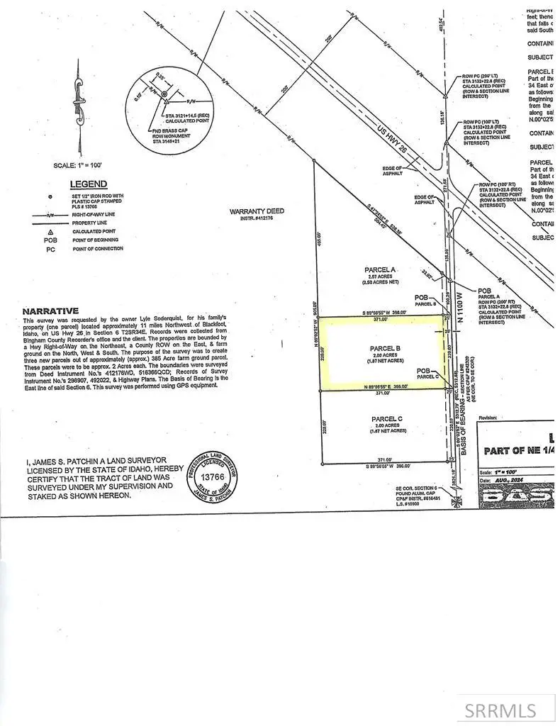
TBD 1100 W #Lot B, Blackfoot, ID 83221
Local realty services provided by:CENTURY 21 High Desert
TBD 1100 W #Lot B,Blackfoot, ID 83221
$75,000
- 2 Acres
- Lots / Land
- Pending
Listed by: carrie hasselbring
Office: real estate pros llc.
MLS#:2170823
Source:ID_SRMLS
Price summary
- Price:$75,000
About this home
Get ready for some breathtaking views, sunsets and sunrises! This great country lot is perfect for INL workers or anyone who wants to get away from town living. There are no CC&Rs on the property, but seller will have a deed restriction stating that all homes must be a double section manufactured home on a foundation or better. Part of the acreage is in the flood zone so it is recommended that buyers have an Elevation Certificate done on the property so that their home can be placed or built on the areas that are not flood zone impacted. It is also recommended that buyers have a PERC Test done to ensure placement of a septic system works for your build specifications. Seller states that the lower land often has grass growing on it, which would be good for livestock. This is a recent division, so property taxes have not been determined yet.
Contact an agent
Home facts
- Listing ID #:2170823
- Added:545 day(s) ago
- Updated:November 15, 2025 at 08:44 AM
Structure and exterior
- Lot area:2 Acres
- Lot Features:Rural
Schools
- High school:SNAKE RIVER 52HS
- Middle school:SNAKE RIVER 52JH
- Elementary school:MORELAND 52EL
Finances and disclosures
- Price:$75,000
New listings near TBD 1100 W #Lot B
- New
$450,000Active3 beds 2 baths1,705 sq. ft.2215 Coopers Way, BLACKFOOT, ID 83221
MLS# 2185793Listed by: SILVERCREEK REALTY GROUP - New
$360,000Active6 beds 4 baths1,794 sq. ft.194/196 Center Street, BLACKFOOT, ID 83221
MLS# 2185763Listed by: KELLER WILLIAMS REALTY EAST IDAHO - New
$350,000Active4 beds 3 baths2,700 sq. ft.66 Stout Avenue, BLACKFOOT, ID 83221
MLS# 2185755Listed by: BERKSHIRE HATHAWAY HS SILVERHAWK REALTY EAST IDAHO - New
$475,000Active5 beds 3 baths2,700 sq. ft.618 Eagle Way, BLACKFOOT, ID 83221
MLS# 2185723Listed by: KNOB AND KEY REALTY - Open Sat, 12 to 2pmNew
$685,000Active6 beds 3 baths3,100 sq. ft.262 N 500 W, Blackfoot, ID 83221
MLS# 582275Listed by: PREMIER PROPERTIES REAL ESTATE CO. - New
$475,000Active3 beds 2 baths2,026 sq. ft.429 400 W, BLACKFOOT, ID 83221
MLS# 2185679Listed by: KELLER WILLIAMS REALTY EAST IDAHO - New
$409,900Active4 beds 2 baths2,630 sq. ft.531 Airport Road, BLACKFOOT, ID 83221
MLS# 2185677Listed by: SILVERCREEK REALTY GROUP - New
$649,900Active6 beds 3 baths3,520 sq. ft.287 330 N, BLACKFOOT, ID 83221
MLS# 2185672Listed by: KELLER WILLIAMS REALTY EAST IDAHO - New
$389,000Active5 beds 2 baths1,510 sq. ft.339 210 E, BLACKFOOT, ID 83221
MLS# 2185593Listed by: REAL BROKER LLC - New
$109,000Active6 AcresTBD Tbd, BLACKFOOT, ID 83221
MLS# 2185566Listed by: COLDWELL BANKER TOMLINSON