3700 Woodland Lane, Downers Grove, IL 60515
Local realty services provided by:CENTURY 21 Circle
3700 Woodland Lane,Downers Grove, IL 60515
$1,250,000
- 3 Beds
- 2 Baths
- 2,035 sq. ft.
- Single family
- Active
Listed by: elizabeth moore
Office: united real estate - chicago
MLS#:12572475
Source:MLSNI
Price summary
- Price:$1,250,000
- Price per sq. ft.:$614.25
About this home
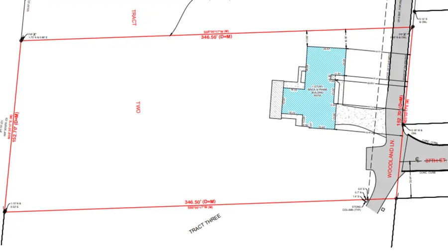
LAND in North Downers Grove - Own a piece of serenity. This property abuts LYMAN WOODS, 150 ACRES of oak woods and prairie. The existing property consists of: * 1 very livable 3 bed 2 bath brick ranch 2,035 sq ft + 1472 sq ft basement on city water and sewer * 152.7 ft x 346.5 ft. acreage can be subdivided * 6" municipal water line at Woodland Lane * Zoned R-4 Proposed development is based on conversations with York Township and DuPage County Zoning. The lot can accommodate a maximun of 4/5, R-4 parcels if the south 60 feet is set aside to extend 37th street as far as the east boundary for Lyman Woods. R-4 zoning in that area requires either 75 foot frontage or 10,000 sq ft lot. - Another option would be to create a flag lot which would only require a 20 foot access road like Woodland Lane, enabling 2 considerably larger homesites. Please see additional notes in property pictures.
Contact an agent
Home facts
- Year built:1952
- Listing ID #:12572475
- Added:1 day(s) ago
- Updated:March 10, 2026 at 04:44 PM
Rooms and interior
- Bedrooms:3
- Total bathrooms:2
- Full bathrooms:2
- Rooms Total:7
- Dining Description:Combined With Living Room
- Kitchen Description:Dishwasher, Microwave, Range, Refrigerator
- Basement:Yes
- Basement Description:Full, Unfinished
- Living area:2,035 sq. ft.
Heating and cooling
- Cooling:Central Air
- Heating:Forced Air, Natural Gas
Structure and exterior
- Year built:1952
- Building area:2,035 sq. ft.
- Lot area:1.2 Acres
- Lot Features:Forest Preserve Adjacent, Natural Preserve Adjacent
- Architectural Style:Ranch
- Levels:1 Story
Schools
- High school:Downers Grove North High School
- Middle school:Herrick Middle School
- Elementary school:Highland Elementary School
Utilities
- Water:Lake Michigan
- Sewer:Public Sewer
Finances and disclosures
- Price:$1,250,000
- Price per sq. ft.:$614.25
- Tax amount:$11,773 (2024)
Features and amenities
- Laundry features:Dryer, Washer
New listings near 3700 Woodland Lane
- Open Sat, 11am to 2pmNew
$285,000Active2 beds 2 baths1,264 sq. ft.4407 Pershing Avenue #2S, Downers Grove, IL 60515
MLS# 12587777Listed by: KELLER WILLIAMS INFINITY - New
$1,450,000Active4 beds 5 baths5,131 sq. ft.6090 Belmont Road, Downers Grove, IL 60516
MLS# 12587416Listed by: BERKSHIRE HATHAWAY HOMESERVICES CHICAGO
$724,900Pending5 beds 4 baths3,612 sq. ft.7717 Rohrer Drive, Downers Grove, IL 60516
MLS# 12585312Listed by: @PROPERTIES CHRISTIE'S INTERNATIONAL REAL ESTATE- New
$205,000Active1 beds 1 baths795 sq. ft.8025 Woodglen Lane #112, Downers Grove, IL 60516
MLS# 12568794Listed by: CHARLES RUTENBERG REALTY OF IL - New
$995,000Active5 beds 3 baths2,100 sq. ft.4741 Cumnor Road, Downers Grove, IL 60515
MLS# 12585616Listed by: COLDWELL BANKER REALTY
$650,000Pending4 beds 3 baths3,330 sq. ft.20W505 Elizabeth Street, Downers Grove, IL 60516
MLS# 12577724Listed by: PLATINUM PARTNERS REALTORS- New
$244,500Active2 beds 2 baths1,011 sq. ft.8025 Woodglen Lane #303, Downers Grove, IL 60516
MLS# 12586185Listed by: @PROPERTIES CHRISTIE'S INTERNATIONAL REAL ESTATE - New
$1,500,000Active5 beds 5 baths4,491 sq. ft.5535 Brookbank Road, Downers Grove, IL 60515
MLS# 12585530Listed by: REALTY ONE GROUP HEARTLAND - New
$330,000Active1 beds 2 baths832 sq. ft.4900 Forest Avenue #108, Downers Grove, IL 60515
MLS# 12583745Listed by: @PROPERTIES CHRISTIE'S INTERNATIONAL REAL ESTATE