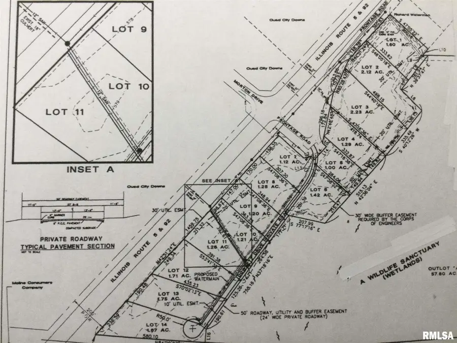
Illinois Highway 92 #Lot 12, East Moline, IL 61244
Local realty services provided by:CENTURY 21 North East
Illinois Highway 92 #Lot 12,East Moline, IL 61244
$93,110
- 1.71 Acres
- Lots / Land
- Active
Listed by: shawn stuenkel
Office: hawkeye commercial real estate
MLS#:QC4268131
Source:MLSNI
Price summary
- Price:$93,110
About this home
Industrial Park along heavily trafficked Hwy 92 in East Moline totaling 14.88 (MOL). Close proximity to I-80/I-88 interchange. Price varies on lots 4-14 based on individual parcel sizes or a combination of lots. Preliminary Plat with flexible development options. End users' plat, survey, and boundary lines are subject to Seller's approval. Zoned I-2.
Contact an agent
Home facts
- Listing ID #:QC4268131
- Updated:April 25, 2026 at 10:49 AM
Structure and exterior
- Lot area:1.71 Acres
Finances and disclosures
- Price:$93,110
- Tax amount:$868 (2024)
New listings near Illinois Highway 92 #Lot 12
$170,000Pending3 beds 2 baths1,248 sq. ft.Address Withheld By Seller, East Moline, IL 61244
MLS# 12624875Listed by: RE/MAX CONCEPTS BETTENDORF- Open Sun, 1 to 2:30pmNew
$310,000Active3 beds 3 baths3,336 sq. ft.461 43rd Avenue Court #6, East Moline, IL 61244
MLS# 12623554Listed by: BUY SELL BUILD QC - REAL BROKER, LLC - New
$171,000Active2 beds 1 baths1,199 sq. ft.17225 40th Avenue Court N, East Moline, IL 61244
MLS# 12625630Listed by: MEL FOSTER CO. GENESEO - Open Sun, 12 to 1pmNew
$184,900Active2 beds 2 baths1,230 sq. ft.2163 10th Street Place, East Moline, IL 61244
MLS# 12623330Listed by: RUHL&RUHL REALTORS MOLINE - Open Sun, 2 to 3pmNew
$107,900Active3 beds 2 baths1,362 sq. ft.1800 7th Street #5D, East Moline, IL 61244
MLS# 12619706Listed by: RUHL&RUHL REALTORS MOLINE - New
$185,000Active3 beds 1 baths960 sq. ft.933 34th Avenue, East Moline, IL 61244
MLS# 12621148Listed by: KW 1ADVANTAGE
$299,900Pending4 beds 2 baths1,712 sq. ft.2339 Troy Drive, East Moline, IL 61244
MLS# 12620759Listed by: RUHL&RUHL REALTORS MOLINE- New
$164,900Active3 beds 1 baths1,474 sq. ft.4101 5th Avenue, East Moline, IL 61244
MLS# 12617932Listed by: RUHL&RUHL REALTORS MOLINE - New
$189,000Active2 beds 2 baths1,131 sq. ft.1233 47th Ave Court #16, East Moline, IL 61244
MLS# 12619114Listed by: RUHL&RUHL REALTORS MOLINE
$374,900Pending2 beds 2 baths1,570 sq. ft.181 Beacon Harbor Circle, East Moline, IL 61244
MLS# 12618865Listed by: QUAD CITIES IOWA REALTY - MOLINE