20800 Torrence Avenue, Lynwood, IL 60411
Local realty services provided by:CENTURY 21 North East
20800 Torrence Avenue,Lynwood, IL 60411
$225,000
- - Beds
- - Baths
- - sq. ft.
- Farm
- Pending
Listed by: kenneth peach
Office: coldwell banker realty
MLS#:12571518
Source:MLSNI
Price summary
- Price:$225,000
About this home
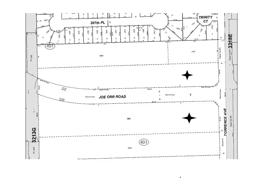
TWO STOP LIGHT CORNERS / LAND PARCELS TOTAL 11.28 ACRES FOR DEVELOPMENT North Parcel 5 + or- Acres Zoned R-1A 160'+/- Frontage on Torrence & 1,200'+ Frontage on Joe Orr Rd South Parcel 6 + or - Acres Zoned R-1A & B-3 206'+/- Frontage on Torrence 1,250'+/- Frontage and Joe Orr Rd Small Area in SE Corner B-3 Regional Commercial Business District Seller is open to discussion in separating for the right price
Contact an agent
Home facts
- Listing ID #:12571518
- Updated:April 28, 2026 at 10:28 AM
Structure and exterior
- Lot area:11 Acres
Schools
- Middle school:Sandridge Elementary School
- Elementary school:Sandridge Elementary School
Finances and disclosures
- Price:$225,000
- Tax amount:$252 (2024)
New listings near 20800 Torrence Avenue
- New
$499,000Active4 beds 3 baths2,400 sq. ft.20801 Elwood Street, Lynwood, IL 60411
MLS# 12628678Listed by: PREMIER MIDWEST REALTY, INC - New
$26,000Active2 beds 2 baths725 Michelle Drive, Chicago Heights, IL 60411
MLS# 12626936Listed by: TURN KEY REALTY SOLUTIONS - New
$365,000Active3 beds 3 baths1,850 sq. ft.20912 Barker Street, Lynwood, IL 60411
MLS# 12623960Listed by: PREMIER MIDWEST REALTY, INC
$161,500Active3 beds 2 baths1,173 sq. ft.19812 Monterey Avenue, Lynwood, IL 60411
MLS# 12621415Listed by: TEAM GT PLLC
$127,000Active2 beds 1 baths888 sq. ft.2815 Glenwood Lansing Road #205, Lynwood, IL 60411
MLS# 12618879Listed by: VILLAGE REALTY, INC.
$525,000Pending7 beds 4 baths3,725 sq. ft.19811 Margaret Court, Lynwood, IL 60411
MLS# 12502970Listed by: CRIS REALTY
$199,000Active4 beds 1 baths1,200 sq. ft.2825 224th Place, Sauk Village, IL 60411
MLS# 12616381Listed by: REAL PEOPLE REALTY
$474,900Pending5 beds 4 baths3,145 sq. ft.2247 S Robin Lane, Lynwood, IL 60411
MLS# 12613725Listed by: EXP REALTY
$126,000Pending2 beds 1 baths1,000 sq. ft.20118 Willow Drive #D, Lynwood, IL 60411
MLS# 12611710Listed by: CLASSIC REALTY GROUP PRESTIGE
$160,000Pending2 beds 2 baths1,100 sq. ft.19533 Lake Shore Drive #2S, Lynwood, IL 60411
MLS# 12613197Listed by: @PROPERTIES CHRISTIE'S INTERNATIONAL REAL ESTATE