302 16th Street, Mendota, IL 61342

Local realty services provided by:CENTURY 21 Circle
302 16th Street,Mendota, IL 61342
$650,000
  • - Beds
  • - Baths
  • - sq. ft.
  • Farm
  • Active
Listed by: michelle falesch
Office: keller williams infinity
MLS#:12589118
Source:MLSNI

Price summary

  • Price:$650,000

About this home

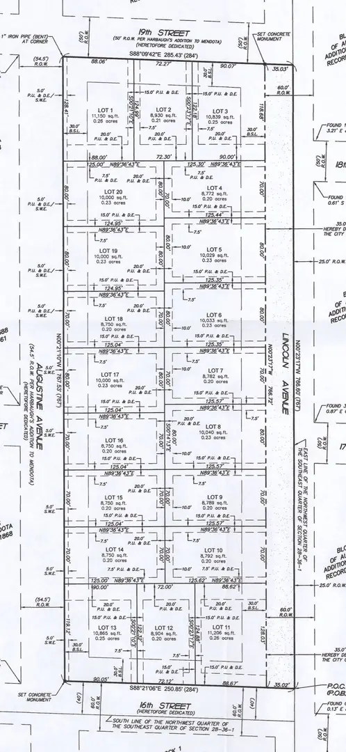
Rare opportunity for builders and developers to acquire 18 residential parcels in a thoughtfully planned neighborhood in Mendota, a growing community attracting buyers seeking affordability and small-town quality of life. The proposed layout includes a mix of generously sized homesites, with several oversized corner lots ideal for ranch-style homes and wider footprints, while interior parcels are well suited for traditional two-story residences. The plan emphasizes efficient land use, attractive streetscapes, and strong resale appeal while supporting a variety of housing styles that complement the character of the area. An additional advantage for builders: if basements are constructed, excavated soil can potentially be relocated to approximately 14 acres owned by the seller directly across the street, offering a convenient solution for site management. With continued community growth, supportive municipal leadership, and increasing demand from buyers relocating from higher-cost...

Contact an agent

contact an agent

Yes, I would like more information. Please use and/or share my information with an independent agent affiliated with the CENTURY 21®  brand to contact me about my real estate needs. By clicking Send message, I request to be contacted by phone or text message and consent to being contacted by automated means. I understand that my consent to receive calls or texts is not a condition of purchasing any property, goods, or services. Alternatively, I understand that I can access real estate services by email or I can contact the agent myself.

If an independent agent affiliated with the CENTURY 21®  brand is not available in the area where I need assistance, I agree to be contacted by a real estate agent affiliated with another brand owned or licensed by Anywhere Real Estate (BHGRE® , Coldwell Banker® , Corcoran® , ERA® , Sotheby's International Realty® ).
 I acknowledge that I have read and agree to theTerms of useandPrivacy notice

Home facts

  • Listing ID #:12589118
  • Added:1 day(s) ago
  • Updated:March 20, 2026 at 10:48 AM

Rooms and interior

  • Basement:Yes

Structure and exterior

  • Lot area:4.6 Acres

Schools

  • High school:Mendota Twp High School
  • Middle school:Northbrook School
  • Elementary school:Northbrook School

Finances and disclosures

  • Price:$650,000
  • Tax amount:$405 (2024)
MLS LogoCopyright 2026 Midwest Real Estate Data LLC. All rights reserved. The data relating to real estate for sale on this web site comes in part from the Broker Reciprocity Program of the Midwest Real Estate Data LLC. Listing information is deemed reliable but not guaranteed.