1006 S Central Avenue, Paris, IL 61944
Local realty services provided by:CENTURY 21 Elite
Listed by: zack janis
Office: crossroads realty
MLS#:6258038
Source:IL_CIBOR
Price summary
- Price:$120,000
About this home
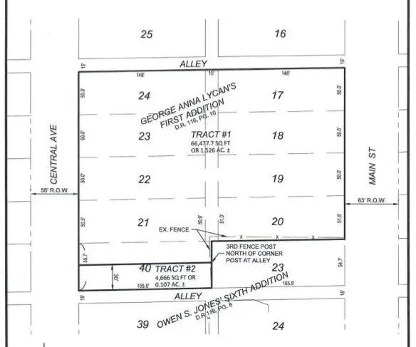
Prime development opportunity in Paris, IL! This offering includes eight (8) lots totaling approximately 1.526 acres, ideally located between Main Street and Central Avenue two highly traveled corridors providing excellent visibility and accessibility. Formerly the site of Redmon School, this property presents a unique redevelopment opportunity in a well-established area. The layout and location make it suitable for a variety of uses, including commercial development or multi-family housing such as duplexes or quadplexes (subject to zoning approval). With access from both streets, the property offers strong potential for efficient site design and traffic flow. Please note, this listing includes Tract 1 only (8 lots) and does not include Tract 2 as shown in photos. Address: 1006 S Central Ave. Call us Today before you miss out!!
Contact an agent
Home facts
- Listing ID #:6258038
- Added:9 day(s) ago
- Updated:April 14, 2026 at 03:05 PM
Structure and exterior
- Lot area:1.58 Acres
Finances and disclosures
- Price:$120,000
- Tax amount:$1,844 (2024)
New listings near 1006 S Central Avenue
- New
$39,900Active2 beds 1 baths1,248 sq. ft.318 N Jefferson Street, Paris, IL 61944
MLS# 6258206Listed by: MARTIN REAL ESTATE & APPRAISALS - New
$25,000Active3 beds 2 baths406 E Van Buren Street, Paris, IL 61944
MLS# 12626763Listed by: FOUR SEASONS REALTY, INC. - New
$499,000Active5 beds 4 baths4,500 sq. ft.471 Sulphur Lane, Paris, IL 61944
MLS# 12626180Listed by: BEYCOME BROKERAGE REALTY LLC - New
$59,500Active5 beds 2 baths2,441 sq. ft.426 W Madison Street, Paris, IL 61944
MLS# 6258183Listed by: HAPP REALTY - New
$375,000Active4 beds 3 baths2,280 sq. ft.18370 Terre Haute Road, Paris, IL 61944
MLS# 6258170Listed by: CROSSROADS REALTY - New
$94,900Active3 beds 2 baths1,128 sq. ft.901 Vance Street, Paris, IL 61944
MLS# 6258076Listed by: STENCE REALTY - New
$120,000Active1.58 Acres1006 S Central Avenue, Paris, IL 61944
MLS# 6258038Listed by: CROSSROADS REALTY
$24,900Active1.63 Acres25 Breanna Drive, Paris, IL 61944
MLS# 6257983Listed by: PARIS REALTY
$168,500Active3 beds 2 baths1,536 sq. ft.16 Poplar Drive, Paris, IL 61944
MLS# 6257977Listed by: KEYS REALTY & APPRAISALS
$119,000Active3 beds 1 baths1,208 sq. ft.410 W Grant Street, Paris, IL 61944
MLS# 6257752Listed by: PARIS REALTY