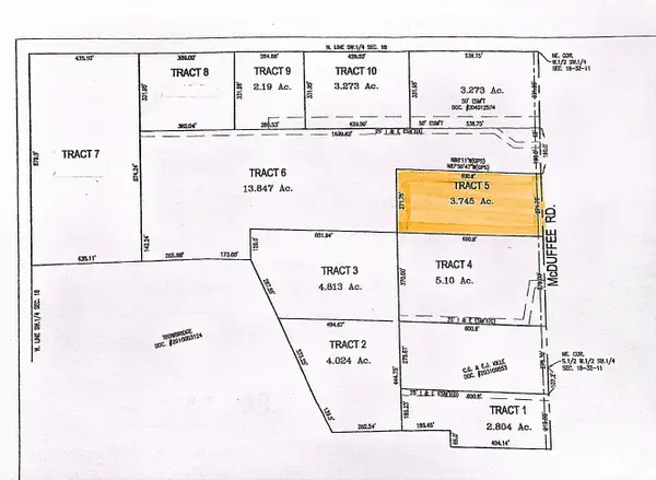
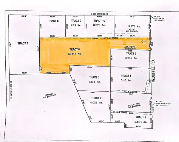
TBD Mcduffee - (tract 3) Road, Churubusco, IN 46723
Local realty services provided by:CENTURY 21 Affiliated
TBD Mcduffee - (tract 3) Road,Churubusco, IN 46723
$170,000
- 4.81 Acres
- Lots / Land
- Active
Listed by: nikki king
Office: king realty, llc.
MLS#:202601082
Source:Indiana Regional MLS
Price summary
- Price:$170,000
About this home
If you have been looking for LAND in the COUNTRY then THIS MIGHT BE IT! Northwest Allen County School District. There are additional lots available. Just outside of a SMALL TOWN with its conveniences, yet not far from the hustle bustle of Fort Wayne. Walking Property is by Appointment Only. *DO NOT PARK ON ANY DRIVEWAYS - THEY ARE NOT OWNED BY SELLER AND PRIVATELY OWNED BY ADJACENT PROPERTY OWNERS. Soil tests completed.
Contact an agent
Home facts
- Listing ID #:202601082
- Added:319 day(s) ago
- Updated:March 01, 2026 at 03:55 PM
Structure and exterior
- Lot area:4.81 Acres
Schools
- High school:Carroll
- Middle school:Carroll
- Elementary school:Huntertown
Finances and disclosures
- Price:$170,000
- Tax amount:$151
New listings near TBD Mcduffee - (tract 3) Road
$334,900Pending4 beds 2 baths3,084 sq. ft.17532 Wappes Road, Churubusco, IN 46723
MLS# 202605519Listed by: NORTH EASTERN GROUP REALTY- New
$385,385Active3 beds 2 baths2,176 sq. ft.8125 E U.s. 33 Highway, Churubusco, IN 46723
MLS# 202605492Listed by: KING REALTY, LLC - Open Sun, 2 to 4pmNew
$1Active3 beds 3 baths3,256 sq. ft.16326 Wappes Road, Churubusco, IN 46723
MLS# 202605069Listed by: SCHRADER RE AND AUCTION/FORT W
$255,000Active5 beds 2 baths2,096 sq. ft.322 N Line Street, Churubusco, IN 46723
MLS# 202605032Listed by: KELLER WILLIAMS REALTY GROUP
$239,900Pending3 beds 3 baths1,888 sq. ft.402 W Pleasant Street, Churubusco, IN 46723
MLS# 202604921Listed by: HEADWATERS REALTY ADVISORS LLC
$259,900Pending5 beds 2 baths2,080 sq. ft.9040 E North Circle Drive, Churubusco, IN 46723
MLS# 202604339Listed by: CENTURY 21 BRADLEY REALTY, INC
$229,922Active3 beds 3 baths1,986 sq. ft.114 E Tulley Street, Churubusco, IN 46723
MLS# 202603164Listed by: KING REALTY, LLC
$179,900Active4 beds 2 baths2,048 sq. ft.202 E Whitley Street, Churubusco, IN 46723
MLS# 202602821Listed by: COLDWELL BANKER REAL ESTATE GR
$419,900Active4 beds 3 baths2,200 sq. ft.7722 Greenwell Road, Churubusco, IN 46723
MLS# 202601832Listed by: PERFECT LOCATION REALTY
$489,900Active3 beds 3 baths3,324 sq. ft.16716 Wappes Road, Churubusco, IN 46723
MLS# 202601700Listed by: MIKE THOMAS ASSOC., INC