606 Leeward Dr, Baton Rouge, LA 70808
Local realty services provided by:CENTURY 21 Investment Realty
606 Leeward Dr,Baton Rouge, LA 70808
$435,000
- 0.55 Acres
- Lots / Land
- Active
Listed by: kara horne
Office: dawson grey real estate
MLS#:2025009513
Source:LA_GBRMLS
Price summary
- Price:$435,000
About this home
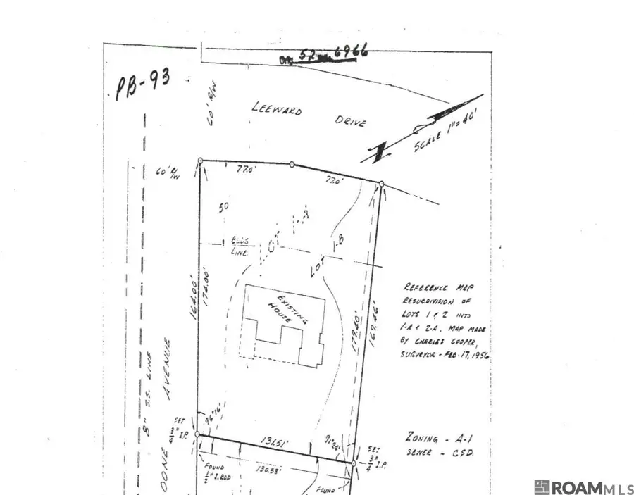
University Acres Subdivision Gem! Rare opportunity to own a premier corner lot in one of Baton Rouge’s most sought-after neighborhoods. Situated at the intersection of Leeward Dr and Boone Dr, this oversized lot boasts the frontage and total square footage to be legally subdivided into two separate lots. Located less than 2 miles from LSU via scenic Highland Road and just down the street from the Leeward Dr BREC park, this property offers a blend of tranquility and convenience that’s hard to find. The existing home is a candidate for either a full renovation or removal, offering endless possibilities for new construction. Whether you’re looking to build your dream home or invest in two new builds in this coveted location, the potential here is unmatched. Please note: the property is being sold as-is; seller will make no repairs, buyer verify lot dimensions. Don’t miss your chance to own in this exceptional neighborhood—schedule your showing today!
Contact an agent
Home facts
- Listing ID #:2025009513
- Added:204 day(s) ago
- Updated:December 13, 2025 at 04:01 PM
Structure and exterior
- Lot area:0.55 Acres
Utilities
- Water:Public
- Sewer:Public Sewer
Finances and disclosures
- Price:$435,000
New listings near 606 Leeward Dr
- New
$200,000Active3 beds 1 baths1,428 sq. ft.4538 Arrowhead St, Baton Rouge, LA 70809
MLS# 2025022351Listed by: SOUTHERN PRIME PROPERTIES, LLC - New
$200,000Active3 beds 2 baths1,563 sq. ft.10815 Stanley Aubin Ln, Baton Rouge, LA 70816
MLS# 2025022346Listed by: KELLER WILLIAMS REALTY-FIRST CHOICE - New
$126,900Active1 beds 1 baths880 sq. ft.8545 Summa Ave #5, Baton Rouge, LA 70809
MLS# 2025022345Listed by: COMPASS - PERKINS - New
$289,900Active3 beds 2 baths1,358 sq. ft.13721 Rivanna Ln, Baton Rouge, LA 70817
MLS# 2025022338Listed by: PINO & ASSOCIATES - New
$260,000Active-- beds -- baths3,648 sq. ft.4555 Alvin Dark Ave, Baton Rouge, LA 70820
MLS# 2025022339Listed by: PARISH & COUNTY PROPERTIES LLC
$319,186Pending3 beds 2 baths1,895 sq. ft.17370 Tidewater Ln, Baton Rouge, LA 70810
MLS# 2025022335Listed by: CICERO REALTY, LLC- New
$785,000Active4 beds 3 baths3,514 sq. ft.1331 Richland Ave, Baton Rouge, LA 70806
MLS# 2025022336Listed by: COMPASS - PERKINS - New
$359,900Active3 beds 2 baths1,932 sq. ft.5550 Berkshire Ave, Baton Rouge, LA 70806
MLS# 2025022337Listed by: LPT REALTY, LLC - New
$350,000Active4 beds 2 baths2,186 sq. ft.16342 Missionary Ridge Ave, Baton Rouge, LA 70817
MLS# 2025022325Listed by: UNITED PROPERTIES OF LOUISIANA - New
$925,000Active4 beds 3 baths3,266 sq. ft.440 Lsu Ave, Baton Rouge, LA 70808
MLS# 2025022327Listed by: RE/MAX PROFESSIONAL