W 14th Avenue, Covington, LA 70435
Local realty services provided by:CENTURY 21 Action Realty
W 14th Avenue,Covington, LA 70435
$1,000,000
- 1.28 Acres
- Lots / Land
- Active
Listed by: kellie osbon
Office: k2 realty llc.
MLS#:NO2552305
Source:LA_RAAMLS
Price summary
- Price:$1,000,000
About this home
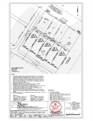
1.28 acres in Downtown Covington--5 contiguous lots with endless potential! Rare opportunity to own Lots 1-5, totaling approximately +-45,000 sq ft, perfectly positioned for new construction, investment, or a private estate. Located just minutes from St. Paul's School and St. Tammany Parish Hospital, this property sits in one of Covington's most desirable and convenient areas. Enjoy quick access to shopping, dining, and the charm of historic downtown while still having space to create something truly special. Each lot measures approximately 60' x 150', offering flexibility for multiple homes, spec builds, or one expansive homesite. The layout allows for a variety of development options--ready for builders, investors, or buyers looking to design a custom residence with room to spread out. Zoned RS-1 Residential Flood Zones B & C (per survey) City utilities available Established neighborhood with nearby new construction and redevelopment Flexible purchase options available: Lots may also be sold individually, with Lots 1 & 2 to be sold together, or purchase all five for maximum potential. Opportunities like this are hard to find-- over an acre in Downtown Covington and bring your vision to life....
Contact an agent
Home facts
- Listing ID #:NO2552305
- Added:1 day(s) ago
- Updated:April 27, 2026 at 11:48 PM
Structure and exterior
- Lot area:1.28 Acres
Finances and disclosures
- Price:$1,000,000
Features and amenities
- Amenities:Electricity Available, Natural Gas Available, Phone Connected
New listings near W 14th Avenue
- New
$297,870Active3 beds 2 baths1,561 sq. ft.3072 Estelle Ct, Covington, LA 70435
MLS# NO2026007639Listed by: CICERO REALTY, LLC - New
$320,000Active3 beds 2 baths2,036 sq. ft.70317 7th Street, Covington, LA 70433
MLS# 2600003680Listed by: KELLER WILLIAMS REALTY ACADIANA - New
$392,000Active3 beds 2 baths2,247 sq. ft.20084 La-40 Highway, Covington, LA 70433
MLS# NO2555073Listed by: NEXTHOME REAL ESTATE PROFESSIONALS - New
$159,000Active3 beds 2 baths1,120 sq. ft.72351 Rose Street, Covington, LA 70435
MLS# NO2555093Listed by: 1 PERCENT LISTS GULF SOUTH
$325,637Pending3 beds 2 baths1,848 sq. ft.21772 River Fork Drive, Covington, LA 70435
MLS# NO2026007652Listed by: CICERO REALTY, LLC
$333,422Pending3 beds 2 baths1,848 sq. ft.21768 River Fork Drive, Covington, LA 70435
MLS# NO2026007654Listed by: CICERO REALTY, LLC- New
$355,000Active3 beds 2 baths1,867 sq. ft.125 Grand Lake Drive, Covington, LA 70435
MLS# 2548222Listed by: REVE, REALTORS - New
$435,000Active3 beds 3 baths2,185 sq. ft.1464 Dominic Drive, Covington, LA 70435
MLS# 2554881Listed by: COMPASS COVINGTON (COMP27) - New
$759,900Active4 beds 4 baths2,834 sq. ft.1172 Delta Lane, Covington, LA 70433
MLS# 2554972Listed by: 1 PERCENT LISTS PREMIER
$609,000Active4 beds 3 baths2,388 sq. ft.5044 Twin River Place, Covington, LA 70433
MLS# RANO2516513Listed by: LATTER & BLUM (LATT15)