Lots 8-A & 8-B Highway 190 Street, Mandeville, LA 70448
Local realty services provided by:CENTURY 21 Action Realty
Lots 8-A & 8-B Highway 190 Street,Mandeville, LA 70448
$695,000
- 2.92 Acres
- Lots / Land
- Active
Listed by: skip scoggin
Office: scoggin properties, inc.
MLS#:2196143
Source:LA_GSREIN
Price summary
- Price:$695,000
About this home
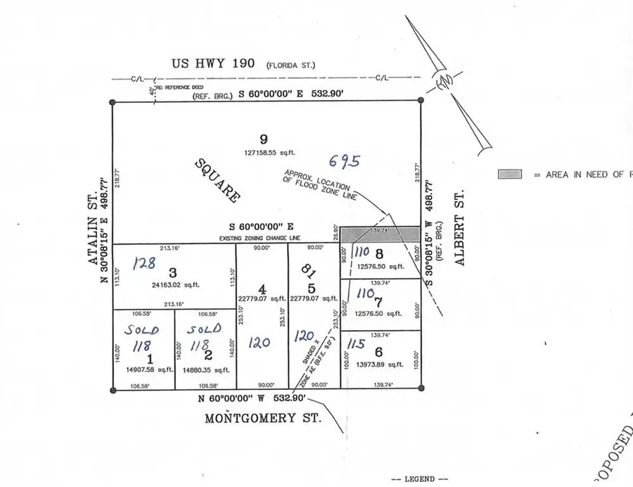
OLD MANDEVILLE Lot 8-A & 8-B 2.92 +/- Acres. Entire piece listed for $695,000. If subdivided in 2 parcels, each parcel will be sold for $407,365. Approved plat for 2 parcels (MLS 2308471 & 2308475)
Water and sewer connections have been established on the lot.
Contact an agent
Home facts
- Listing ID #:2196143
- Added:1130 day(s) ago
- Updated:March 03, 2026 at 04:08 PM
Rooms and interior
- Living area:130,340 sq. ft.
Structure and exterior
- Building area:130,340 sq. ft.
- Lot area:2.92 Acres
- Lot Features:City Lot, Oversized Lot
Utilities
- Water:Public
- Sewer:Public Sewer
Finances and disclosures
- Price:$695,000
New listings near Lots 8-A & 8-B Highway 190 Street
- New
$399,900Active4 beds 3 baths2,431 sq. ft.530 Markie Drive, Mandeville, LA 70471
MLS# NO2544530Listed by: REMAX ALLIANCE - New
$460,000Active4 beds 2 baths2,353 sq. ft.2941 Desert Court, Mandeville, LA 70448
MLS# 2545254Listed by: COLDWELL BANKER TEC - New
$779,000Active4 beds 3 baths3,543 sq. ft.537 Evergreen Drive, Mandeville, LA 70448
MLS# NO2545511Listed by: THE W GROUP REAL ESTATE LLC - New
$775,000Active4 beds 4 baths3,889 sq. ft.77 Mark Smith Drive, Mandeville, LA 70471
MLS# NO2542971Listed by: BERKSHIRE HATHAWAY HOMESERVICES PREFERRED, REALTOR - New
$140,000Active1.05 AcresSq 314 A-3 Dupre St. Street, Mandeville, LA 70448
MLS# NO2544183Listed by: KELLER WILLIAMS REALTY SERVICES - New
$275,000Active4 beds 3 baths2,145 sq. ft.137 Richland Drive, Mandeville, LA 70448
MLS# NO2545215Listed by: REMAX ALLIANCE - Open Wed, 12 to 2pmNew
$255,000Active3 beds 2 baths1,282 sq. ft.820 Joans Street, Mandeville, LA 70448
MLS# 2545251Listed by: CRESCENT SOTHEBY'S INTL REALTY - New
$245,000Active2 beds 2 baths1,369 sq. ft.645 Tete Lours Drive #1, Mandeville, LA 70471
MLS# NO2544724Listed by: COMPASS COVINGTON (LATT27) - New
$249,000Active2 beds 3 baths1,750 sq. ft.207 Tops L Drive #B4, Mandeville, LA 70448
MLS# NO2545139Listed by: ALL AROUND REALTY, LLC - Open Sun, 1 to 4pmNew
$1,395,000Active4 beds 4 baths4,900 sq. ft.5 Heron Lane, Mandeville, LA 70471
MLS# 2545016Listed by: UNITED REAL ESTATE PARTNERS LLC