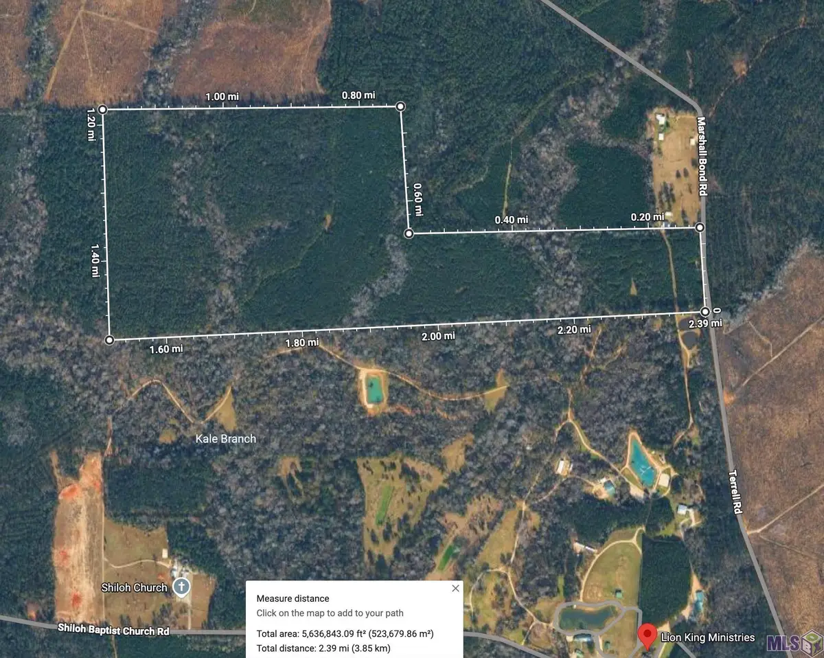
TBD Terrell Rd, Montpelier, LA 70441

Local realty services provided by:CENTURY 21 Action Realty
TBD Terrell Rd,Montpelier, LA 70441
$610,000
  • 125 Acres
  • Lots / Land
  • Active
Listed by: melissa c lovett
Office: pivot realty
MLS#:BR2026003182
Source:LA_RAAMLS

Price summary

  • Price:$610,000

About this home

Discover the BEAUTY and potential of this exceptional 125-acre tract located in the desirable Greensburg Land District of Montpelier, within St. Helena Parish, Louisiana. This property offers a rare opportunity to own a VERSATILE and INCOME-PRODUCING timber investment combined with OUTSTANDING recreational value. Approximately 48.7 acres of mature timber are ready to be clear cut, providing immediate income potential, while an additional 76.3 acres of timber suitable for thinning offer ongoing revenue opportunities and long-term management benefits. Whether you're an investor seeking return, a conservation-minded owner, or someone looking for a private getaway, this property delivers flexibility and value. Surrounded by the natural beauty and abundant wildlife of St. Helena Parish, this tract is perfectly suited for a HUNTING CAMP, private retreat, recreational haven, or future legacy property. Enjoy the PEACE and PRIVACY of rural Louisiana while still maintaining convenient access to...

Contact an agent

contact an agent

Yes, I would like more information. Please use and/or share my information with an independent agent affiliated with the CENTURY 21®  brand to contact me about my real estate needs. By clicking Send message, I request to be contacted by phone or text message and consent to being contacted by automated means. I understand that my consent to receive calls or texts is not a condition of purchasing any property, goods, or services. Alternatively, I understand that I can access real estate services by email or I can contact the agent myself.

If an independent agent affiliated with the CENTURY 21®  brand is not available in the area where I need assistance, I agree to be contacted by a real estate agent affiliated with another brand owned or licensed by Anywhere Real Estate (BHGRE® , Coldwell Banker® , Corcoran® , ERA® , Sotheby's International Realty® ).
 I acknowledge that I have read and agree to theTerms of useandPrivacy notice

Home facts

  • Listing ID #:BR2026003182
  • Added:62 day(s) ago
  • Updated:April 25, 2026 at 03:09 PM

Structure and exterior

  • Lot area:125 Acres
  • Lot Features:Rural, Wooded

Finances and disclosures

  • Price:$610,000

Features and amenities

  • Amenities:Electricity Available

Parking

  • Parking description:Driveway